(SMR 1079 / NS 8561 7338)
The church of Slamannan sits on a small mound with its old gravestones spread out like sentinels on the slopes beneath. The newer, more exuberant, memorials have sprawled out over the ridge to the north and east making this citadel of the dead a prominent feature in the local landscape. Residents heading north from the village are accustomed to seeing these stones bathed in sunlight directly in front of them. Then the road twists to the left and passes to one side of the high kirkyard wall, plunging them into shadow and masking the stones from view. Few stop to inspect the history so briefly glimpsed. Those living closest to the churchyard appreciate the tranquillity and visual splendour that it provides but fail to see the complex story underlying this landscape.
Slamannan is one of the original parishes of the Falkirk district that were created some time in the twelfth century. In 1176 the church is mentioned as one of thirty three of the decantus de Linlithgow. It lay at a strategic communications point beside the southern route across the country from Edinburgh to Glasgow – it was, for example, on Cromwell’s line of march in 1651. Here it was possible to travel north by a crossing over the River Avon. Although not a large river, the surrounding marshes and mosses made north to south movement difficult. The road crossing was guarded by a small wooden fortification built on an artificial hill known as a motte. Further security was imparted by the river to the north and the Culloch Burn to the south. Such mottes were alien to the country and the design was imported from south of the border by the Scottish monarch in an attempt to stabilise his control. With them came the Anglo-Norman families who owed their new positions entirely to the king. The parish system provided the administrative framework for the new landlords to work in. These were fundamental reforms. Together the Church and State provided the stable conditions necessary for the agricultural community to prosper. The chapel would have come under the care and protection of the baron and it probably lay in a defended annexe to the motte, known as a bailey. A small settlement would have been attracted to the locus by the patronage of the secular and temporal powers, but it never grew into a large village.
As the general situation stabilised, the motte was abandoned and a new residence built about a quarter of a mile to the south on Castlehill. The church was rebuilt in stone and, through custom and use, the area within the bailey became the parish burial ground. This confined space was then used to bury the entire population of the parish over the next 600 years. The church became the centre of the community and its yard was used for commercial activities. Falkirk was the nearest market town, but minor transactions took place in Slamannan. In 1641 the Regality Court of Falkirk ordered Andrew Russel to pay to his brother William the 10s “that he lent to him in the kirkzairde of Slamannane” (Hunter 1991, Vol 1, 29). At this time the churchyard was largely devoid of grave markers. Those who could afford memorial stones placed them inside the church along with the burials. It was only after the Reformation that stones slowly made their appearance outside.
The earliest recorded gravestone is a flat stone bearing the raised date 1654 (not 1634 as read by Murray, 1911). This lies next to the path along the south side of the church building, towards its eastern end. Three other flat stones of the same kind of date occur in the immediate vicinity, suggesting that the distinguished people thus commemorated wanted to be buried on the sunny side of the church near the chancel. The disposition and alignment of the pre-1810 gravestones show that the earlier church building was on the same axis as the present one, probably having a common foundation along the south wall.
In 1693 the graveyard was extended southwards onto the low ground. This probably meant using the soil in the remnant of the rampart to fill the watery ditch in front of it. In part this was necessitated by an extension to the church building itself that consumed part of the old burial ground. The ditch and earthen dyke boundary consequently had to be replaced with a stone dyke that the Heritors became responsible for. “a paper containing ye drawin of ye kirkyeard-dike with an obligatory besid of the Heritors yranet” was kept as a record of this obligation and is mentioned by the kirk session in 1710. The solid ground, where the earth dyke had been, was quickly sought after for lairs by the Heritors. However, the ground beside the south boundary dyke was not liked. Being an infilled ditch so close to the burn it must have been damp and was therefore set aside for the parish paupers – hence no gravestones ever appeared in this area.

The location of the church had been determined by the crossing point of the River Avon and its protective motte. This placed the church against the northern boundary of the very parish that it was supposed to serve. Consequently, those living in the south-west and south-east corners of the parish had an unnecessarily long trek to the services. Conversely, those living within sight of the church in Falkirk Parish on the north side of the river were supposed to attend the church at Falkirk. Over the years it became customary for them to at least bury their dead in the Slamannan churchyard. Naturally, the people south of the river objected, as it was they who paid for its upkeep and the minister’s salary. So in 1723 it was decided to annexe a wide strip of land along the north bank of the river to Slamannan Parish. The people of the annexed land agreed to provide money for
“purchasing part of the Church yeard of Slamanan for burial places as we shall have occasion for them, as also to bear a proportion of the expenses for repairing of the churchyeard dykes conforme to our valuation.”
They also asked to be allowed to extend the church to the east to accommodate them at the religious services. The final settlement in 1730 only permitted them to add an aisle on the north side of the church. Why this solution was favoured is not stated, but it may have been due to the location of existing burials. Burial on the north side of churches was usually shunned by the wealthier parishioners and the land here was therefore more likely to have been available for the building project. The walls of the church had, in any case, to be largely rebuilt in 1753 (Macnair 1793).
All the decades of patching up the old fabric proved inadequate and with the new century the Heritors finally took the bull by the horns. The church was demolished and the stone used to build a new meeting hall in the latest fashion. Whilst the old building had been low, long and narrow, the new one was more square and lofty with expansive loft accommodation. As already stated, the buildings shared the same foundation for their south walls. Indeed, allowing for the north aisle, they occupied much the same area, thus minimising any disturbance to the graveyard. It was completed in 1811 and handed over to the congregation (Waugh 1979, 50-51), though the Heritors had to write to the contractor to get him to clean up the building debris left in the graveyard. The opportunity was also taken to renew part of the boundary wall. The gates too were repaired in 1811. However, six years later it was considered inconvenient to have more than one gate open at the time of the religious services. Evidently it made crowd control rather difficult and enabled people to escape without adding to the collection! It was arranged for certain people to lock the north and west gates, leaving only the main south gate open. Beside this entry a small collecting house was built by James Paton at a cost of £11. For the first time a gravel path was laid in the graveyard in 1825 from the south gate to the west and east doors of the church. In the 1820s the collecting house was used by the men watching over the burial ground for the grave robbers known as the Resurrectionists (see below). Further building work occurred in 1857 when the manse, then well over a century old, was also replaced with a substantial Victorian villa.
.

In 1850 George Waddell of Balquhatstone, the largest estate in the parish, died. As it happened, the feu to the east of the churchyard had become available and was acquired by the Heritors. An elegant family tomb was constructed in large stone ashlar blocks set in a private enclosure annexed to the graveyard. Before long the east wall of the graveyard was realigned to butt up to this tomb and the extra area was laid out in lairs. This was a small foretaste of things to come.

In 1855 the Burial Grounds Scotland Act was passed allowing parochial boards to borrow money against future income from the sale of lairs. The Slamannan Board embraced the powers of the Act with vigour. In the 1870s the churchyard dramatically changed its shape and size. The walled enclosure to the north was taken in and the western boundary wall rebuilt along the road frontage, with a new entrance flanked by substantial obelisk-topped gate piers and a new session house. Then the old collecting house to the south was demolished and a further small extension made in that direction for more unmarked graves, known as a “commonry”. The Heritors had previously set aside a sum of money for these improvements and in 1877 they handed it over to the parochial board (Waugh 1979, 97). However, much of the new intake to the north was on the steep slope at the foot of the motte and before long a new enclosure was thrust out to the east, almost doubling the burial ground and providing a separate mortuary. To make the most of this new addition, the southern boundary wall at the bottom of the hill was heavily buttressed and the ground level inside raised. Now the lairs against the north boundary were highly sought after. Here the wall provided shelter, absorbed and radiated the heat of the sun, and created an area free from trampling. After a storm in the 1890s it was noted that the memorials adjacent to this wall had fared best. Consequently these lairs fetched a premium. It was therefore with some anger that these lair holders heard in 1904 that the wall was to be demolished and the cemetery extended to the north. Despite their protestations the project went ahead, now under the auspices of the parish council.
Controversy also arose in the mid 1890s when new footpaths were formed in the old part of the churchyard. As this provides echoes to the present day it is worthwhile quoting in full a letter that appeared in the Falkirk Herald of 25 May 1889:
“Sir,— The action of the heritors of Slamannan parish in altering the paths in the burial ground to the effacement of a number of graves is still a subject of serious discussion in the district, although a couple of years have elapsed since it was done. For no apparent purpose, except to gratify the aesthetic taste of a few no-bodies, a minority of the heritors made new walks through the churchyard, displacing headstones and levelling graves which stood in their way, and this without so much as asking the leave of any family representative to whom the soil might hold sacred memories. If anyone now asks these busy bodies of the heritors what right they had to do this, he is told that the graveyard belongs to the heritors, not to the holders of the lairs. This may be law – no doubt it is – but it is far from being gospel. Even granting the legality of the view taken by our very active friends, however, it still remains to be explained why only a few of the heritors were consulted, and why the principal members of that body in the parish were never asked for their sanction to the movement. We are cautioned against speaking aught but good of the dead, but most people here think that the late minister lent himself too readily to the countenancing of a piece of gross bad taste, to put the matter mildly.”
The 1904 cemetery extension was the pride of the parish council. It was designed by the Airdrie architect William Baird. The centrepiece was a new entrance off Balmulzier Road to the north.
Three large drum pillars of red sandstone with banded rustication supported the ornate wrought iron gates that provided separate entrances for vehicles and pedestrians. The gates were executed by John Gardner and Son, blacksmiths, Plains, and together with the wrought iron fence on the dwarf wall facing the road cost the princely sum of £58.18.9.3/4d. It was 1907 before the layout and planting were completed and the new portion opened up at a charge of 10s 6d for the deeper lairs. The planting scheme included a floral circle facing the gates as well as shrubs and trees, such as a weeping elm. These were all looked after by John Bennie, the cemetery keeper, and the pristine grounds served as a public park.
.

Half a century and two world wars on, this large extension was proving insufficient. In October 1956 the Stirling County Health Committee opened a new section further east again. The cost was now £5.5s per lair, with a 50% surcharge for non residents or non taxpayers. A few years later they “improved” the old part of the graveyard. Maintenance is now undertaken by Falkirk Council and largely follows the dictates of competitive tendering. Grass cutting machines have increased in size over the years in the name of efficiency; the consequence of which is the scoring of the gravestones, deep wheel ruts and the undermining of unstable foundations. One of the magnificent gate piers of 1904 was demolished and removed in around 2001, whilst the remaining ones are heavily scarred by the still saw used to dismember the elegant gates. Thankfully, in 2003 a local resident took it upon himself to clean and paint the remaining wrought ironwork, hopefully saving it. Some of the oldest of the gravestones were badly damaged in 1998 when scaffolding was erected to repair the church roof – what chance does natural decay stand here! Recently another local resident has taken up the cudgel and helps to look after the churchyard with a more kindly improving hand from the Council.
Sites and Monuments
| Slamannan Parish Churchyard | SMR 1079 | NS 8561 7338 |
| Slamannan Parish Church | SMR 201 | NS 8561 7339 |
The Avonbridge Hearse Society
That part of Avonbridge which lies to the south of the River Avon was in the parish of Slamannan. Some time before 1793 the Ogilface Friendly Society had been formed there to help sick members and to provide annuities to members’ widows. Help also extended to a scheme to pay for the burial of members and their families, thus avoiding the indignity of a pauper’s grave. One of the problems faced by the people of Avonbridge had been the great distance to the churchyard. So in 1793 the Ogilface Society took the lease of some land at Bridgend, Avonbridge, upon which it built a hearse house. The Avonbridge Hearse Society was formed to administer this. By 1795 all was ready and the conditions upon which the hearse was to be let were set out:
- The body of every member of the Society, his wife or widow, shall be carried to their place of interment by the Society’s hearse free of charge.
- The parents of members, entered before 1st May, 1793, and all the children of every member still unmarried, shall have their bodies carried by the hearse to their place of interment for half of the hire payable for others.
- When the hearse is let out to those who are not members nor entitled to the above privileges, there shall 2/6d be paid, in name of yoking money. And 6d for every mile that it travels from the place where it is kept to the place of interment: And if it be not returned the same day that it sets out the yoking and mile money shall be charged as on the preceeding day. The money to be paid when the hearse is returned.
Members supplied their own horses. The Ogilface Society was dissolved in 1837 and the remaining funds were disbursed amongst its members. The harness, thatch and even the hearse door were sold for £1.5s in 1842. However, the walls of the house were left to the New Hearse Society that was created in its wake. This society also inherited the old hearse, but it was found to be beyond repair. A new vehicle was bought from Falkirk for £25 and a paper was sent around to every member to pay 8s for a share. Members of the old society, and their wives or widows, who had had a right to be conveyed to the Slamannan churchyard upon their deaths by the old hearse were given the same benefit from the new hearse without charge. In 1882 the New Hearse Society still had 25 members and it continued to serve its membership until the 1920s, when it too came to an end (Waugh 1979, 119-121)
Watching
“Regulations to be observed in watching Slamannan Church Yard from the 28th February, 1825 to the 28th February, 1826.
- That four pence be collected from each member of the Association to defray expense of fire, etc.
- That Robert Main, John Johnston, James Wardy, John Russell, James Downs, Robert Taylor and Robert Brown are appointed to attend weekly in their turn to see that the ordinary watch be attending to their duties.
- That no person having lairs or residing in the Parish who does not join the Association, previous to having any appearance of requiring the watch, shall have any claim thereto. But those who reside in the Parish on taking up Lairs shall become entitled to the advantage of the watch if they join the Association at the same time.
- That every person regularly warned must be at his post at the hour appointed and continue on duty until relieved by some member of the Second Committee. Whenever any person does not come at the hour appointed in that case the Second Committee shall hire a man in his place, and although he should afterwards come he shall not be admitted, but must pay the man employed and a fine of one shilling beside.
- That every person off duty shall pay a fine of two shillings and sixpence.
- That no person be permitted to watch under sixteen years of age and none rendered unfit by age or otherwise.
- That the watch shall in no case disgorge their firearms except in case of alarm under the penalty of one shilling toties quoties, all fines to be exacted by the Second Committee.
- That any person alarming or intimidating the watch shall be prosecuted by the Association.
- That the members of the Committee must keep an exact record of the nights in which every member in their quarter watched during the year.
- That the Committee serve each member in their quarter with a note of the nights he is to watch on 24 hours notice. And that every member of the Committee receive 48 hours notice before his quarter commences.
- That two glass lamps be procured and swing on poles near the graves watched when there is no moonlight.
- That the watch continue 8 weeks in Summer and 10 weeks in winter after the last interment entitled to the watch.
- The Committee at their last meeting enjoined the Second Committee to permit no person, who has incurred fines either by not coming at all or coming too late, to watch or have any advantage by it till these are paid, and appoint the Committee not to warn these out till the expense be paid.
- That no person be called who does not subscribe the regulations and pay the four pence.” (Waugh 1979, 92-93.)
The item in the regulations concerning the discharging of firearms had been necessitated by an incident in 1819 when Robert Jamieson had accidentally fired his gun and damaged one of the church windows. It was said that he was on duty one night when he heard a disturbance and in a state of great excitement he went out to investigate. Hearing a rustling noise he fired his weapon, missing the cow that had strayed into the churchyard but hitting the church window. In May 1830 the Heritors noted that “unless depredations committed by the watchmen on the Collecting House be made good the accommodation will no longer be granted”.
Place Names
In the 200 years from the beginning of the 18th century to the beginning of the 20th century there was a tendency for the same family to occupy a local farm for generation after generation. Thus, for example, we have the Waughs of North and South Arnloss, the Scotts of Jawcraig and the Grays of Brownrig. At the higher end of the social ladder were the Waddells of Balquhatstone and the Ralstons of Ellrig; families that later intermarried (No. 1). “Ellrigg” did not suit the family’s status and the name was converted to the more genteel sounding Glen Elrig (Nos. 146 & 1). Place names that occur on stones before 1800 include:
Craigend (54); Drumteach (40); Glentor (106); Lodge (83); Mosscastle (148); Paixhole (24).
After this date the amount of information appearing on the gravestones increases significantly. The farmers were proud of their connection with the land and farm names abound:
Balcastle (107 & 134); Bankhead (112); Black Loch (130); Boxton (141); Bridgehill (114); Bridgend (239); Budcur (114); Brownrig (64); Bulliondale (117); Easter Greenhill (85); Fencehilhead (224); Jawcraig (68); Holehouse (166); Linhouse (59); Linn Mill (174); Loanrig (13 & 83); Meadowfield (22); Nappyfaulds (130 & 176); Newcraig (157); North Arnloss (61); Pirneylodge (131); Roughridge (202); Sharpbanks (123); South Arnloss (17); Southfield (11); Stoneridge (174); Townhead (147); West Craigs (173); Wester Jaw (217).
Towards the end of the 19th century some of the younger sons of these farmers took up tenancies of their own in neighbouring parishes. This outward movement can be detected in such names as Avonbank (39); Caldercruix (27); Inveravon (18); Seafield (237); Shieldhill (130) and Shields (28).
A small handful of people sought their fortunes abroad. The British Empire enabled many to create small fortunes with which to retire in their native parish. Russell was one of these (85). This family also had early connections with New York (84). Place names from the European continent only appear in connection with the tragedy of the First World War (eg. 43).
Occupations

Until the mid-nineteenth century Slamannan had an agricultural economy. Almost the entire population was engaged in farming. People were either farmers – farm owners, tenant farmers or portioners. A bare handful of trades were required to sustain this work – blacksmiths, wrights, masons, tailors, bakers and the like. The first three of these categories were perhaps the most important men. Stone 71 bears a splendid depiction of the tools of a joiner/wright in 1729. Robert Kirkwood, who died in the year of the Jacobite rebellion of 1745, was a mason. His stone sports the Masonic emblem of three castles and a square. The stone is covered with elaborate carving, perhaps by Kirkwood himself. Three hammers and three crowns appear on James Brown’s memorial, along with the hammermen’s motto “By hammer and hand all airts do stand”. Brown was presumably a blacksmith, or maybe a coppersmith.
With the arrival of the railway the coal seams on the plateau were exploited and the population grew rapidly. Until that time there was no settlement within the parish worthy of the appellation village. Now Slamannan became the main centre and with this the number of service trades increased. Professional men moved in. The first doctor/surgeons were from the Arthur family (134). Builders replaced masons (62) and the number of teachers increased (209, 43 & 74). Robert Main was the schoolmaster at Slamannan for 48 years from 1810 to 1858 (43). William Taylor had his own school in Muiravonside parish (74) for 17 years until his death in 1888. Master John Robertson taught in the Garbethill School in the neighbouring parish of Cumbernauld (209). Both the latter men had their gravestones erected by their pupils and friends. It seems reasonable to assume that they were natives of Slamannan and that they profited from a good education at the village school in the 19th century. The stone masons responsible for some of the gravestones at Slamannan could have benefited from this. The inscriptions contain numerous spelling errors on top of the usual setting out problems – preserved in stone for all of the world to see. In 1873 Thomas Main left £1,000 to establish four university bursaries for young men living in the parishes of Slamannan, Cumbernauld and Kilsyth (83). He was related to Surgeon Thomas Main (66) who died n 1834 whilst Master of the Falkirk Lodge of Freemasons (Love 1908).
.
Although not in the old graveyard, it is worth mentioning that Viscount Horne of Slamannan, the son of the parish minister, is buried and commemorated in the new cemetery of 1904. He achieved the high office of Chancellor of the Exchequer. His father is buried in the old churchyard (165), as were many of his fellow clergymen.

| William Hastie died Nov 1755 | No. 180 |
| John Knox died June 1777 | No. 164 |
| James MacNair died April 1798 | No. 19 (author of 1st Statistical Account of Slamannan) |
| Alexander Davidson died Oct 1855 | No. 111 |
| Robert Stevenson Horne died April 1887 | No. 165 |
| Alexander Cameron died June 1968 | No. 172 |
The memorial to Alexander Davidson is a fine sandstone pedestal monument “erected by a number of the Heritors and parishioners”. It stands central to the south side of the church, part way down the hill. The gravestones of William Hastie, John Knox and Robert Horne all lie near the west door of the present church building. The old building also had its principal door in this gable (the Session records refer to the west door and the east door). Here the memorials would have been a constant reminder to the flock as they entered the building. The west door was preferred to the east one, which was used by those sinners found guilty of unsocial behaviour by the kirk session. These penitents had to enter the church by the east door to be rebuked by the minister and publicly humiliated. It may appear rather odd therefore to find the flat stone of Rev MacNair a little distance away from the east door. Indeed it would be, but the stone must have been transferred to this location at a later date, as it lies in an area that did not form part of the graveyard until c1855, long after his death. Perhaps it too lay near the west door and was displaced by the new access route that was required when the grounds were rearranged as part of this enlargement.
After 1855 the extensions to the graveyard became ecumenical. Rev. William Eyval (1812-1861) of the Free Church in Slamannan has a memorial in the new portion north of the church. His successors, such as Archibald Reid (minister from 1875 to 1892), lie in the newer section to the east.
Burials
The barren cold stones standing in the graveyard provide only a distant reminder of the ceremony which accompanied each interment. In 1894, for example, 64 members of the Redding Lodge of Free Colliers, headed by the Blackbraes Instrumental Band, formed up at Binniehill, where John Shaw, the deceased, had resided. The coffin was carried shoulder high by the brethren to the churchyard while the band played the “Dead March” in “Saul” [Falkirk Herald 11 August 1894, p.8]. The following year the funeral of the George Smith, grocer and general merchant, Slamannan Station, took place from Crosby House to Slamannan Churchyard. The funeral was private but all of the shops and business premises were all closed while the cortege passed through the village en route to the place of interment.” [FH 29 September 1895, p.5]. Similar respect was shown to Robert Wilson who had a grocer’s business in Slamannan. The shop had been opened in connection with the colliery of which he had been the manager. He died at Candie House near to his later colliery and the cortege left from there in carriages to Slamannan Churchyard. For part of the way it was followed by colliers from Standburn and Avonbridge on foot [Airdrie & Coatbridge Advertiser 10 Oct 1896, p.6].
Military funerals also occurred. One of the best remembered was that in August 1941 of Sergeant-Observer James G.S. West, DFM, son of Mr and Mrs T. West, Station Road, Slamannan. He was 26 years of age and had served with the RAF since 1934. He had been awarded the Distinguished Flying Medal five weeks before he was killed in a flying accident while returning from operations. The cortege, in addition to relatives and friends, consisted of a firing party and escort from the RAF under W.O. Forrester, a detachment of the Royal Artillery, the Slamannan Platoon of the Home Guard under Sergeant TFS Menzies, a party of the Royal Observer Corps under Mr AR Stewart, head observer, Air-raid wardens and the Slamannan Fire Brigade under Mr R Mathews.

After the RAF contingent had saluted the dead comrade at his home in Station Road, the cortege proceeded to the churchyard, where Rev. J Stirling, Edinburgh, assisted by Rev. N Elliot, St Laurence Church, Slamannan, conducted the funeral service, after which the RAF paid their last respects by firing three volleys and sounding the “Last post” and “Reveille” [Falkirk Herald 23 August 1941, p.3].
Stones and Monumental Masons
In the previous section it was suggested that Robert Kirkwood, mason, may have cut his own stone (90) in preparation for his death, with the inscription added later. It is the most heavily carved stone in the churchyard. There is a small number of ornate stones dating to the five years before his death and which may also be his work, though there is some variation in style. These are:
1740. Winged soul, crossed bones, hour glass, naïve skull, winged soul on side, flower circles, rope over top, open book. No.89.
1740. Winged soul, hour glasses, naïve skull, crossed bones, heads. No. 95.
1741. Flower circles, rope (same as on No.223), winged hour glass. No.109.
1743. Winged soul, cross bones, snake, rope, hanging loops, naïve naked humans on sides, sexton’s tools, small skull. No. 223.

1745. Two naïve naked humans supporting shield with mason’s arms, barley-twist columns, acanthus leaves, swirls, flower circles, naïve naked humans on sides, winged souls with bodies, grapes. No. 90.

1790. Acanthus leaf border (same style as on No. 90), sexton’s tools, thistle, grapes on sides, crossed bones, flowers, winged souls in profile. No. 49. [NB. The date was probably added later].
The stone of 1743 with the snake is very similar to a stone in the churchyard at Torphichen (Willsher & Hunter 1978, 34), the neighbouring parish to the south-east. There can be little doubt that the two were executed by the same man. The small populations of the two parishes would only have supported one monumental mason between them.
All of the early gravestones are of sandstone with varying lithology. Some are quite coarse grained, others are fine grained and well bedded. The latter do not survive as well, as their inscribed faces are prone to lamination. The Russell monument (84) of 1843 is made of white marble, which adds to its prominence. After this date grey granite becomes the preferred stone, though black basalt and pink granite are also to be found. All these stones can be enhanced by polishing. They were brought to Slamannan by the railway, usually already carved for erection. Slamannan still could not support a monumental mason of its own. However, its geographical position meant that there was a wide choice of towns from where they could be obtained. Masons represented in the old churchyard include:
- J & J Baird, Falkirk.
- A Caldwell, Glasgow.
- Craig & Baxter, Kirkintilloch.
- Douglas, Airdrie.
- R Fraser, Cathcart.
- R Gray, Glasgow.
- W Hume, Falkirk.
- W McHutchison, Airdrie.
- D Meffan, Airdrie.
- Mossman, Glasgow.
- C Murray, Hamilton.
- Archibald Ritchie, Edinburgh.
- W Roberts & Son, Falkirk.
- C Roger, Bathgate.
- Traynor, Airdrie.
There is also a solitary cast iron grave marker, now devoid of text, manufactured by McFarlane.
Slamannan Kirk Session: CH2/331
References to the churchyard occur throughout the kirk session records and here are some examples:
1693, Aug: “The session considering that the Heritours had harmoniously agreed upon their seats in the Church so that every one has his seat where he choosed it, therefore they gave liberty to eveiry Heritour to lay in a lying stone into the Church yeard by and aloneg what they had there before and did request only twentie shilling Scots to be payed to the box for every ston laid in by this appontment.” (f.5)
1694, 20 April: “The same day the sessione considering that the suth church yeard forgains the new inlargement of the kirk was yet undivyded and considering that severall Heritors wanted buriall places in the church yeard and that they were desirous to have that place keeped for them the forsyds discharged the Belman to lay any corps in that place of the church yeard forgainsd the new inlargement till the Heritors meet with the session to divide it amongst them who wanted proper lairs.” (f.11)
1699, 16 April: “The session ordains all persons of qch rongrbyarnes who bring yr dead to our churchyeard to be buried, to employ our Bellman to make ye grave & satisfie him yrfor, els they will be pursued by ye session for a ryot.” (f.59)
1699, Oct: “The session consulting qt money they might take from William Donald for laying qrs broyrs corps in the church yeard they recommended it to ye minr to consent it with ye heritors and upon receipt of qt might satisfying to ye heritors to grant a discharge in ye session’s name.” (f.64)
1700, March: “The minr reported in session yt he had advised wth ye heritors anent William Donalds business & had received ane hundred pounds Scots & given a discharge yrof to ye hr of William Donald, and further he reported yt ye Heritors desired yt ye session would apply it for buying of silver cups to serve ye church of Slamannan at ye administration of ye sacriment at ye Lord’s Supper. (f.65)
1710, April 3: “a paper containing ye drawin of ye kirkyeard-dike with an obligatory besid of the Heritors yranet.” (f.5)
1720s annexation of part of the parish of Falkirk.
“as also to gave to the poor of Slamanan such a sume of money as … for purchasing part of the Church yeard of Slamanan for burial places as we shall have occasion for them, as also to bear a proportion of the expenses for repairing of the churchyeard dykes conforme to our valuation …” (f.11A)
1731, June 16: “The Minr … had bought a hand bell & that the price yrof was eleven shilling Ster. & the Session ordered Robert Ure to reimburse the minister of money in the box and appointed that whosoever did call for the bell at burials should pay six penis two penes of ych should be given to the bidle for his pains in ringing.” (f.157)
1740, May 25: “One lib sixteen shillings Scots to Richard Russel for two mort coffins to two of James Walker’s children.” (f.239)
1764, March: “five shillings… from John Boyd of Barleyside for permission to put in a head stone into the Church yeard” (f.23b).
1790, July: “a discharge produced by James Shaw late merchant in England that he had paid to the late Revd Mr Knox twenty shillings Stg for liberty of burial ground in the Church yard & of placing a through stone upon it. He has assigned this property to John Shaw of Goosedubs.” (f.40a)
Slamannan Heritors’ Records – HR147
21 Sep 1787: “the matter relating to the through and head grave stones in the churchyard which by a former meeting… every stone as above, should pay the sum of ten shillings and six pence Sterling, but it appearing to this meeting that no money has been got from any person having stones in the churchyard though several times required, for reasons that some of them have been long in the church yard, and others complain that the som is ever much changed.
The meeting are now of opinion that every person who has put in stones in the church yard of Slamannan within the space of twenty years of this date or shall put in grave stones in the foresaid church yard for the time to come shall be obliged to pay to the Treasurer of the Kirk Session for behoof of the poor the sum of ten shillings and sixpence Sterling for each through stone and for each head stone five shillings Sterling…”
8 Sep 1810: Part of the church yard dyke to be repaired/rebuilt by William Aitken at a cost of £18.10. He was the only bidder for the work. (f.76). The length of the church yard dyke repaired measured 6R 15Y 6F (f.77)
15 June 1811: “the clerk should write Mr Warden to clean the church yard of the whole woud and rubbish in the course of next week” (f.95)
17 Aug 1811: Work on the gates to the church yard dyke to be done by John Russell. (f.98)
3 Aug 1817: “Having proceeded to consider the conveniency of having only one entry into the church yard and a little house to shelter those who wait on the collection the meeting agree to have only one entry and a little house…” (f.149)
26 Aug 1817: Two estimates for building a little house at the church gate (1) John Russell £11.16 (2) James Paton at £11.0. Pavilion shaped roof. To be completed by the following October. (f.150)
6 Nov 1819: Gun said to have been discharged by Robert Jamieson caused damage to one of the church windows. (f.184)
4 Aug 1821: The north gate to be repaired; collection house painted; entry to churchyard raised and laid with gravel. (f.203)
1823: West gate to be kept shut during worship. North gate to be repaired. Steps to be placed between the south church gate and the bridge. (f.213)
Lairs to be numbered and marked with small inscribed stones. (f.225-8)
18 June 1825: A gravel footpath to be made through the church yard, 3ft wide and 5in thick. It would be necessary to avoid lairs, where possible. (f.233)
6 Aug 1825: Plan to be made of the church yard. Committee appointed to effect regulations there. (f.236)
11 Feb 1827: The duties of grave digger & beadle set down. £2 annual salary plus extras as follows: keeping fire in collection house 14s. Digging graves 3ft deep 2s + 1s for each additional foot up to 8ft. 1s when stools are required to place the corpse on at the church gate. (f.254)
3 Dec 1850: “as to the new burying ground feu duty for last year.” (f.139)
LL NEW MONKLAND/ 8TH DECR 1903.
INVENTORY
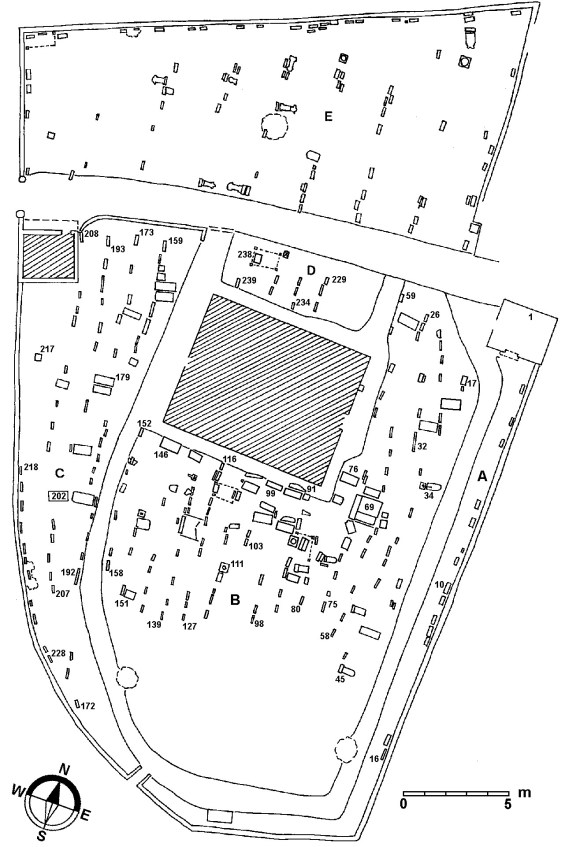
The graveyard was surveyed by Mitchell and Mitchell as part of their Stirlingshire volume in the 1970s, when 136 stones were recorded. Although the stated intention was to record the gravestones dating to before 1850, many later ones were noted on that occasion.

The current survey has recorded all the stones in the parts of the graveyard that date to before 1865. The understanding being that many of the original stones will have been replaced by later ones to those who inherited the original lairs. In most cases these will have been relatives. The number has consequently risen to 239. Three stones cited in the Mitchell and Mitchell survey could not be relocated and have presumably been lost by the attrition caused by the maintenance. Those recorded on the lost stones include James Grinly and Helen Marshall [99], John Nasmyth [128] and AA [54].
The format of the inventory follows that of previous volumes of Calatria.
- Each stone is given a unique number that also appears on the plan:
- The type of stone, whether flat or head:
- If a headstone, then the shape of the top of the stone (see volume 10, p.17 for the key):
- The dimension of the stone starting with the height, then the width and thickness:
- The inscription:
- The reference number (in brackets) used by Mitchell & Mitchell.
- Wall, square. TO/ THE MEMORY OF/ GEORGE WADDELL ESQUIRE/ OF/ BALQUHATSTONE/ WHO DIED ON THE 10th OF MARCH 1850/ AGED 55 YEARS/ AND OF HIS WIFE/ ELIZABETH CASTON WADDELL-RALSTON/ OF GLENELRIG/ WHO DIED ON 25TH JULY 1883/ AGED 64 YEARS/ AND THEIR YOUNGER DAUGHTER/ CASTON MARGARET ANNE RALSTON WADDELL/ WHO DIED 28TH NOVEMBER 1945,/ IN HER 96TH YEAR.
- Wall, shield. SACRED/ TO/ THE MEMORY OF/ GEORGE RALSTON PEDDIE WADDELL/ YOUNGER OF BALQUHATSTON/ 19th COMPANY (LOTHIANS AND BERWICK) IMPERIAL YEOMANRY/ WHO DIED AT GERMISTON/ SOUTH AFRICA/ 8TH FEBRUARY 1901/ AGED 28/ / FOR QUEEN AND/ COUNTRY.
- Head, arched. 194 x 85 x 25. (a) 1866/ Erected/ BY/ JOHN BRYERS,/ AND CATHERINE PATON, HIS SPOUSE,/ IN MEMORY OF THEIR SON/ WILLIAM/ WHO DIED 22nd JULY 1866,/ AGED 7 YEARS AND 7 MONTHS./ ANN,/ WHO DIED 17TH OCTOBER 1871,/ AGED 17 YEARS./ CATHERINE PATON,/ WHO DIED 7th APRIL 1872,/ AGED 50 YEARS./ CATHERINE/ WHO DIED 1st AUGT 1872,/ AGED 22 YEARS./ JOHN DRYER/ DIED 16th OCTOBER —-/ AGE 76 YEARS/ JOHN/ DIED 30th APRIL —- AGED 21 YEARS. (b) AND IS THE INTENDED BURIYING PLACE/ FOR THEM AND THEIR HEIRS [on upper plinth]. (c) A.CALDWELL/ GLASGOW [lower plinth].
- Head, arch. 158 x 65 x 20. (a) ERECTED/ BY/ JAMES BAIRD HENDERSON/ IN MEMORY OF HIS BELOVED WIFE/ ISA HILL/ WHO DIED 24TH NOV 1909 AGED 60 YEARS/ AND THEIR CHILDREN/ THE ABOVE/ JAMES B HENDERSON./ DIED 25th APRIL 1924,/ AGED 79 YEARS. (b) MURRAY, HAMILTON [on lower plinth].
- Head, rustic cairn. 142 x 75 x 35. IN/ MEMORY OF/ THOMAS OSWALD/ DIED 16thFEB. 1905, AGED 72/ HIS WIDOW/ MARY RINTOUL/ DIED 20TH MARCH 1922, AGED 76/ ALSO THOMAS C. OSWALD/ DIED 2nd JAN.1958, AGED 84/ BELOVED HUSBAND OF/ BETSY PENMAN/ DIED 19th AUG 1958, AGED 66/ ALSO THEIR TWO CHILDREN/ WHO DIED IN INFANCY.
- Head, arch. 140 x 51 x 16. ERECTED BY/ WILLIAM MARTIN,/ IN MEMORY OF/ HELEN HAMILTON HIS WIFE/ WHO DIED 13th APRIL 1873/ AGED 25 YEARS./ INFANT BOY, DIED 5th JAN.1879/ ALEXANDER/ DIED 16th SEP.1883, AGED 1½ YEARS/ HIS WIFE HELEN WILSON/ DIED 22nd JAN 1893, AGED 42 YEARS/ ALSO THE ABOVE/ WILLIAM MARTIN,/ DIED 11th JANY 1913, AGED 62 YEARS.
- Head, arched. 161 x 71 x 23. (a) ERECTED BY/ ALEXANDER WEST/ STATION, SLAMANNAN,/ IN LOVING MEMORY OF,/ WILLIAM,/ SECOND SON OF ABOVE,/ WHO DIED 22nd NOVEMBER 1883,/ AGED 18½ YEARS./ ALSO HENRY R.B. WEST./ FOURTH SON OF ABOVE,/ WHO DIED 27th JANUARY 1889,/ AGED 18½ YEARS./ ALSO HIS BELOVED WIFE/ MARY WRIGHT/ WHO DIED 3rd FEBY 1894, AGED 58 YEARS./ ALSO THE ABOVE/ ALEXANDER WEST/ WHO DIED 13th FEBY 1913, AGED 77 YEARS. (b) CRAIG & BAXTER/ KIRKINTILLOCH [on lower plinth].
- Head, scroll. 60 X 39 X 15. IN LOVING MEMORY OF/ MARY McNA/ BELOVED WIFE OF/ ROBERT McEWAN/ WHO DIED AT BANK STREET/ SLAMANNAN/ ON THE 31st DAY OF/ DECEMBER 1927/ IN HER 35th YEAR/ / DEEP– MOURNED.
- Head, square. 166 x 68 x 20. (a) ERECTED BY/ WILLIAM SIM/ IN MEMORY OF/ AGNES CUTHBERT/ HIS BELOVED WIFE/ DIED 20th MARCH 1894 AGED 57 YEARS/ ALSO THEIR CHILDREN/ MARION ALEXR & JANET./ ALSO THE ABOVE WILLIAM SIM/ DIED 27th FEBY 1902 AGED 66 YEARS. (b) ASLEEP IN JESUS [upper plinth]. (c) W.ROBERTS & SON/ FALKIRK [lower plinth].
- Head, arched. 196 x 75 x 22. ERECTED BY/ JAMES GRAY/ IN MEMORY OF HIS DAUGHTER/ MARY A. GRAY,/ WHO DIED 28 SEP. 1872,/ AGED 1 YEAR & 5 MONTHS./ ALSO/ ELISABETH GRAY HIS WIFE/ WHO DIED 15th APRIL 1874/ IN HER 23 YEAR.
- Head, arch and ogee sides. 175 x 72 x 27. (a) Erected By/ ROBERT STEELE/ In Loving Memory Of/ His Wife/ BETHIA BLACK/ Died 10th Feb 1907, Aged 67 Years/ Also Their Children/ ROBERT & WILLIAM/ Who Died in Childhood/ Also The Above/ ROBERT STEELE,/ Died 20th Aug 1907, Aged 71 Years./ Also GAVIN STEEL,/ Second Son/ And Late of Southfield Farm,/ Who Died At Viewhill, Slamannan/ 2nd July 1949, Aged 78 Years. (b) STEELE/ SOUTHFIELD FARM [on plinth]. (c) DOUGLAS [on lower plinth].
- Head, arched. 113 x 60 x 20. ERECTED/ BY/ JOHN MENZIES &/ ELIZABETH JEFFREY HIS WIFE/ IN LOVING MEMORY OF HER MOTHER/ AGNES BARR/ WHO DIED 23rd JAN 1899 AGED 77 YEARS/ ALSO HER FATHER/ WILLIAM JEFFREY/ WHO DIED 26th FEB 1899 AGED 87 YEARS.
- Head, pediment. 199 x 92 x 27. (a) Erected/ BY/ MARGARET CRUICKSHANK/ IN MEMORY OF HER HUSBAND/ WILLIAM STEEL WHO DIED AT LOANRIGG/ 18th JULY 1890 AGED 59 YEARS/ ALSO HIS DAUGHTER JANET,/ WHO DIED 2nd APRIL 1875 AGED 3 YEARS,/ JAMES MUNGALL/ WHO DIED 18th JULY 1878 AGED 70 YEARS./ ALSO HIS WIFE JANET THOM,/ WHO DIED 29th JANY 1887 AGED 86 YEARS./ ALSO THE ABOVE MARGARET CRUICKSHANKS/ WHO DIED 20th DECR 1894, AGED 63 YEARS. (b) TRAYNOR/ AIRDRIE [on plinth].
- Head, S-arch. 152 x 64 x 17. (a) IN LOVING MEMORY OF/ DAVID STEEL,/ DIED 27th OCT. 1934, AGED 60 YEARS./ ALSO MARY MORRIS STEEL/ WIFE OF THE ABOVE DAVID STEEL/ DIED 23rd OCT.1947 AGED 72 YEARS./ / A TOKEN FROM THE STAFF AND WORKMEN/ AT DEWSHILL COLLIERY. (b) DOUGLAS/ AIRDRIE [on plinth].
- Head, rusticated woodwork. 180 x 87 x 16. (a) ERECTED/ BY/ ALEXR & JANET BEVERIDGE,/ IN LOVING MEMORY OF THEIR DAUGHTER/ AGNES,/ DIED 17th DECR 1903 AGED 21 YEARS./ JANE,/ DIED 24th NOVR 1881 AGED 8 YEARS./ ALSO THE ABOVE/ ALEXANDER BEVERIDGE/ DIED 3rd AUG. 1907 AGED 61 YEARS./ THE ABOVE/ JANET R BEVERIDGE/ DIED 6TH JULY 1917 AGED 69 YEARS/ INTERRED IN NEW CEMETERY. (b) THY WILL BE DONE [on plinth].
- Head, triangular with finials (cast iron). McFARLANE [at base – the manufacturer].
- Head, double cavetto. 153 x 70 x 13. ERECTED/ BY/ JAMES WAUGH/ IN MEMORY OF/ AGNES BLACK TAYLOR/ HIS WIFE, WHO DIED 3Oth AUGUST, 1865./ THE ABOVE/ JAMES WAUGH/ DIED 4th APRIL 1900 AGED 94 YEARS/ THEIR DAUGHTER/ AGNES WAUGH/ DIED 19th SEPT. 1927, AGED 76 YEARS/ THEIR SON/ JOHN WAUGH SOUTH ARNLOSS/ DIED 30th SEPT. 1934, IN HIS 80th YEAR/ TO MEMORY EVER DEAR.
- Head, book-shaped. 40 x 50 x 7. IN MEMORY OF/ MY/ BELOVED MOTHER/ AGNES WAUGH/ WHO DIED/ A 8 A.M./ ON 19th SEP. 1927/ ALSO MY UNCLE/ JOHN WAUGH/ DIED AT/ INVERAVON/ AT 3.40 A.M./ ON/ 30th SEP 1934.
- Table. 194 x 98. Here Lie/ The earthly remains/ of/ The Revd JAMES MACNAIR/ Minister of the Parish of Slamannan/ He was/ A Kind Friend and affectionate Relative./ A pious Christian & faithful Minister/ He died 15th April 1798/ In the Eleventh year of his Ministry/ Aged 39./ The memory of the Just shall be blessed./ / Buried in the High Churchyard of Glasgow/ AGNES MACNAIR His spouse who/ died 28th Novr. 1807 Aged 45/ She was/ Distinguished for piety, conjugal & parental/ affection, Beloved by those who knew her/ And her Memory is dear to her surviving/ family and friends./ Blessed are the dead who die in the Lord/ They rest from their labours and/ their works do follow them. [133].
- Head, triangle. 74 x 7. ERECTED BY/ WILLIAM TAYLOR/ AND/ CHRISTIAN BAILLIE/ IN MEMORY OF THEIR SON WILLIAM/ WHO DIED 23rd FEB 1862 AGED 2-/ CHRISTIAN their DAUGHTER — —-/ 21st APRIL 1864 AGED —
- Head, double ogee. 65 x 84 x 15. (a) 1808 [Along top]. (b) ROBERT BARRY/ AGNES SCOTT. [135].
- Head, triangle. 142 x 60 x 11. (a) Erected by/ MARGARET WADDELL/ In Memory of her husband/ JAMES SCOTT,/ Who Died At Meadowfield Farm,/ 21st AUGT. 1884 AGED 63 YEARS./ THEIR INFANT SONS ROBERT & ROBERT./ ALSO THEIR DAUGHTERS,/ BERTHIA/ DIED 27th SEPR. 1874, AGED 18 YEARS./ JANET,/ DIED 17th JULY 1878, AGED 17 YEARS./ MARGARET SCOTT OR BEATON./ DIED 15th FEBY. 1879, AGED 24 YEARS./ ALSO THE ABOVE/ MARGARET WADDELL,/ DIED 20th MARCH 1914, IN HER 85th YEAR. (b) 1812/ JAMES SCOTT/ JANET ARTHUR [On base].
- Head, 5-lobed. 72 x 72 x 14. JS:JW/ THIS=IS=THE=PROPERTY/ OF=JOHN=BARRY=ANd/ MARY=SHANKS=HIS/ WIFE=ANd=THEIR/ CHILDREN 1806. [134].
- Head, ogee. 55 x 96 x 14. (a) 1804 [Along top]. (b) This ftone is erected by/ PETER BELL tenant in pockn/ave mill in memory of his uncle/ JAMES BLACK portioner of paix/hole who died the 5th day of April/ 1800 Aged 75. [132].
- Head, double cavetto. 75 x 96 x 13. (a) 1805. (b) WILLIAM YOUNG/ JEAN CARRICK died/ in the 27th year of her age/ 1804. [131].
- Head, flat. 147 x 58 x 16. (a) ERECTED BY/ WILLIAM TAYLOR/ IN MEMORY OF HIS FATHER/ PETER TAYLOR/ DIED AT RIGGCOTTE/ 4TH AUG. 1885 AGED 64 YEARS/ HIS MOTHER CECILIA SHARP/ WHO DIED 30th JANY 1915 AGED 85 YEARS/ ALSO HIS SONS/ PETER TAYLOR/ DIED AT LONGRIGGEND/ 29TH APRIL 1894 AGED 13 YEARS/ DANIEL TAYLOR/ WHO DIED 7th AUG. 1896,/ AGED 8 YEARS & 10 MONTHS/ WILLIAM TAYLOR,/ WHO DIED 22nd SEP. 1921/ AGED 65 YEARS. (b) PEACE PERFECT PEACE WITH LOVED ONES FAR AWAY/ IN JESUS’ KEEPING WE ARE SAFE AND THEY [on base].
- Head, double cavetto. 155 x 54 x 13. ERECTED BY/ WILLIAM TAYLOR & JEANIE WATT,/ IN LOVING MEMORY OF/ THEIR ELDEST DAUGHTER/ JEANIE SHANKS TAYLOR/ DIED AT CALDERCRUIX FARM,/ 3rd FEBY. 1928, AGED 13 YEARS & 4 MONTHS./ ALSO THE ABOVE/ WILLIAM TAYLOR/ WHO DIED 8th JUNE 1933,/ IN HIS 54th YEAR./ THE ABOVE/ JEANIE WATT/ WHO DIED AT STIRLING 14th AUG. 1976/ AGED 91 YEARS./ / “SADLY MISSED”.
- Head, rustic wood. 135 x 75 x 13. ERECTED BY/ WILHILMINA S AITKEN/ In/ loving Memory/ of Her Husband/ HENRY TAYLOR/ Who Died at Arns 31st May 1908/ Aged 65 Years./ The Above/ WILHILMINA/ AITKEN/ Who Died at the Shields/ Castlecary/ 24th January 1948/ Aged 91 Years/ / CHERISHED MEMORIES/ TAYLOR.
- Head, flat with central pediment. 160 x 60 x 18. Erected/ By/ MARGARET SALMOND./ In Loving Memory of Her Husband/ WILLIAM REID/ Who Died 5th March 1906/ Aged 51 Years./ Also Their Infant Son Died 1891./ The Above/ MARGARET SALMOND,/ Who Died 17th Nov. 1933/ Aged 82 Years.
- Head, low arch. 75 x 94 x 15. 1848/ JOHN SHANKS/ AND/ ELIZABETH MARSHELL. [119].
- Flat. 183 x 89. [JOHN] BOYD/ CATHERINE STEEL. [120].
- Head, rectangle. 60 x 183 x 11. (a) HOLDS 2 LAIRS [along top]. (b) – Memory of/ ——S SCOTT/ who —- 22 December 18–/ Aged 38 Years/ An Amiable Wife Tender Parent/ and Sincere Christian/ ERECTED BY/ EDWARD RAE/ Her Husband (c) 1861/ ROBERT COWIE. [121].
- Head, curved corners. 70 x 70 x 13. (a) 1794 [Along top]. (b) DAVID.GARDNER/ MARY.OSWALD. [122].
- Head, rounded. 155 x 34 x 16. fallen face down.
- Head, tri-lobed. 105 x 97 x 11. ERECTED/ BY/ JOHN MOIR IN MEMORY OF HIS MOTHER/ CATHERINE JAMIESON/ WHO DIED 1st DECEMBER 1843./ HIS DAUGHTER JANET DIED 22nd JULY 1856./ HIS SON ROBERT DIED 2nd JULY 1869./ HIS WIFE ELIZABETH TAYLOR DIED 22nd AUG. 1869./ JOHN MOIR DIED 29th APRIL 1883 AGED 56. [123].
- Head, arched. 172 x 61 x 18. In Memory/ of/ JOHN GENTLEMAN/ DIED 15th APRIL 1896 AGED 88 YEARS./ CHRISTINA MARSHALL/ HIS WIFE,/ DIED 9th NOV. 1886, AGED 72 YEARS./ WILLIAM, THEIR SON, DIED 8th NOV. 1872, AGED 26 YEARS./ JOHN, THEIR SON, DIED 11th AUG. 1854, AGED 6 YEARS./ PETER, THEIR SON,/ DIED 17th FEB. 1896, AGED 45 YEARS./ JOHN GENTLEMAN, THEIR SON/ DIED 4th APRIL 1908 AGED 46 YEARS./ ELIZABETH GENTLEMAN, THER DAUGHTER/ DIED 27th AUG 1924 AGED 65 YEARS. [130].
- Head, rounded. 65 x 47 x 8. ERECTED BY/ JOHN McINTYRE/ IN MEMORY OF HIS/ BELOVED DAUGHTER/ ——RET/ —- — —– 83/ ————–. [129].
- Head, book-shaped. 25 x 44. No inscription.
- Head, triangle & rolls. 115 x 52 x 13. Erected In Memory of/ JAMES BALLANTYNE/ Beloved Husband of/ JANET MEIKLE,/ Died at Avonbank 13th Sept 1907/ Aged 67 Years./ Also Their Children/ WILLIAM & GRACE/ Who Died In Infancy/ “He gives His beloved sleep”.
- Head, cavetto & ogee. 80 x 99 x 16. The b— place of Robt Sawers/ of Drumteach and Ma— Hay his/ wife who died Sept 11 1798 aged 62. [124].
- Head, square. 60 x 75 x 13. 1826/ ROBERT BOYD/ AND/ ELIZABETH BAIRD/ J B. [125].
- Head, cavetto. 85 x 96 x 13. (a) 1799 [along top]. (b) ROBERT SIMPSON and/ MERRON JAFFREY/ ROBERT SIMPSON OF LUMLEA/ DIED 13th FEB. 1873, AGED 64 YEARS./ AND HIS WIFE MARY BLACK/ DIED 20th JUNE 1888 AGED 71 YEARS. [126].
- Flat. 198 x 76. IN MEMORY OF/ ROBERT MAIN/ SCHOOLMASTER OF SLAMANAN 1810-1858/ DIED 9th MAY 1858 AGED 74/ HIS WIFE JANET HUTCHESON/ DIED 7th AUGUST 1828/ THEIR SON ROBERT/ BORN 30th DEC. 1812 DIED 22nd JAN. 1813/ THEIR DAUGHTER MARY ANN/ BORN 9th JUNE 1821 DIED 12th FEB. 1837/ AND HIS WIFE/ CHRISTIAN TAYLOR/ DIED 18th OCTOBER 1867 AGED 63/ THEIR DAUGHTER ELIZABETH/ DIED 6th AUGUST 1855 AGED 18/ THEIR DAUGHTER SUSAN/ DIED 6th MARCH 1873 AGED 29/ AND IN MEMORY OF HIS GRANDSONS/ ROBERT MAIN CHRISTIE/ MAJOR 13th H.L.I./ WHO DIED AT ROUEN 15th MAY 1918/ AND/ S.W. LORIMER/ SAPPER CANADIAN PIONEERS/ WHO DIED IN A MILITARY HOSPITAL/ IN ENGLAND FEBY 1919/ ERECTED BY DESCENDANTS OF THE ABOVE/ ROBERT MAIN. [127].
- Head, curved with corner blocks. 70 x 78 x 6. ERECTED/ BY/ JOHN MASTERTON/ IN MEMORY/ OF HIS DAUGHTER AN——/ WHO DIED —— 11.
- Head, flat arch. 145 x 58 x 10. Fallen face down.
- Head, cavetto & rolls. 95 x 108 x 19. 1840/ THE/ PROPERTY/ OF/ JAMES TENNANT/ & MARY LIDDEL./ HIS WIFE/ AND CHILDREN. [118].
- Head, square. 45 x 66 x 11. THE PROPERTY OF/ JOHN TENNANT and/ MARGARET SOMERVILL/ And their Children 1825. [117].
- Head, cavetto & ogee. (a) 1811 [along top]. (b) William Gardner/ Mary Thomson. [116].
- Head, square (illus). 45 x 70 x 14. (a) 1790 [along top]. (b) THOMAS THOMSON/ ANN RUfSELL. [115].

- Head, urn on column. 135 x 35dia. Erected By/ ARCHIBALD WILSON/ In loving Memory Of/ His Father/ JAMES WILSON/ Died 9th Aug. 1859, Aged 49 Years/ Also His Mother/ JANET TILLIES/ Died 28th Oct. 1868, Aged 54 Years.
- Flat. 83+ x 94. No inscription.
- Head, flat arch. 60 x 68 x 8. (a) HOLDS 1 LAIR [along top]. (b) ERECTED BY/ ROBERT BAXTER, IN MEMORY OF/ MARGARET DONALDSON/ HIS WIFE WHO DIED 14– — —. [114].
- Head, curved. 115 x 73 x 8. Laminated.
- Head, ogee. 100 x 90 x 13. (a) 1806 [along top]. (b) IN MEMORY/ of ROBERT TOM pportioner/ of CRAIGEND who died on the/ 20th of july 1804 aged 60 years/ This ftone was erected by/ AGNES LOGIE his spouse/ ALSO ROBERT TOM/ DIED 5TH JANY 1875 AGED 71 YEARS. [113].
- Head, tri-lobed. 50 x 81 x 13. WW.KB.1739. [112].
- Head, S-curved. 140 x 61 x 11. Fallen face down.
- Head, cavetto. 65 x 87 x 16. 1820/ ALEXR PETIGREW. A. TAYLOR/ —- —-. [111].
- Head, cavetto & ogee. 80 x 84 x 10. Laminated.
- Head, curved. 175 x 59 x 17. (a) SACRED/ TO THE MEMORY OF/ JOHN WAUGH/ LINHOUSE FARM, AVONBRIDGE/ DIED 27th AUG. 1924, IN HIS 84th YEAR/ HIS WIFE ELIZABETH MUNGALL/ DIED 19TH JULY 1919, AGED 71 YEARS/ ALSO THEIR SONS/ JOHN,/ DIED 10th APRIL 1937, AGED 62 YEARS/ WILLIAM,/ DIED 1st AUG. 1949, AGED 68 YEARS/ ALSO THEIR DAUGHTER/ JANE TAYLOR WAUGH/ DIED 10th MAY 1946, AGED 75 YEARS. (b) WAUGH [on base]. (c) DOUGLAS/ AIRDRIE [on side].
- Flat. 200 x 88. 1816/ JW MG. [100].
- Head, square. 85 x 41 x 11. IN LOVING/ MEMORY OF/ JOHN WAUGH/ NORTH ARNLOSS/ DIED 30TH SEPT. 1913/ AGED 31 YEARS/ HIS WIFE/ KATE STORRAR/ DIED 13TH MARCH 1962/ AGED 75 YEARS/ ALSO/ FOREBEARS GONE BEFORE.
- Head, ogee & finial. 255 x 76 x 14. (a) IN/ Memory/ of/ ROBERT FORRESTER/ BUILDER/ WHO DIED AT 7 FIRPARK TERRACE/ DENNISTOUN, GLASGOW,/ 27TH NOV. 1900 AGED 64./ ALSO HIS SON/ ROBERT/ WHO DIED 30TH MARCH 1867,/ AGED 5 YEARS & 10 MONTHS,/ ALSO/ JOHN, ELIZABETH & GEORGE,/ WHO DIED IN INFANCY./ ALSO OF/ JANE McKECHNIE/ WIFE OF THE ABOVE/ BORN 18TH APRIL 1838, DIED 31ST JULY 1902. (b) FORRESTER [on base]
- Head, S-curved. 95 x 85 x 17. 1831/ ERECTED/ BY/ JOHN MAIN and JEAN BELL/ in memory of their daughter/ JANET MAIN/ who died 29th January 1830/ aged 9 years./ JOHN MAIN DIED 9TH FEBY 1844 AGED 54 YEARS./ JEAN BELL DIED SEPT. 19TH 1862 AGED 67 YEARS. [101].
- Head, curved. 130 x 79 x 12. IN MEMORY OF/ J—–Y GRAY/ WHO D— — BROWNRIGG/ 15TH OCT. —- –ED 73 YEARS./ AGNES R——- —-/ WHO DIE- —- — HIS WIFE/ —- —- — —NRIGG/ —- — — YEARS/ WHO DIED — —–IGG/ 10TH DEC 1— —- — -EARS./ ALSO — — —/ JA— ——/ WHO —- — — / 13TH AUG —- — — -EARS./ AND — — —– / WHO DIED 24 — — — -EARS./ ALSO THEIR DAU—–/ WHO DIED –3 –EC —- — -EARS.
- Head, S-arch. 100 x 86 x 6. –17/ —–S MAIN/ and/ —LKER. [102].
- Head, pediment. 95 x 92 x 11. IN/ MEMORY/ OF/ Thomas Main M.C./ WHO DIED AT FALKIRK/ ON/ THE TWENTYSIXTH/ DAY OF FEBRUARY/ MDCCCXXXIV. [103].
- Table. 172 x 82. RG/ RG AM1752/ 1857/ MATTHEW WADDELL/ AND/ MARY ALLAN/ MATTHEW WADDELL/ DIED 20 FEB 1904 AGED 75 YEARS/ MARY ALLEN/ DIED 31 OCT 1915 AGED 65 YEARS. [104].
- Head, complex. c250 x 228. (a) WILLIAM SCOTT/ OF JAWCRAIG/ IN MEMORY OF HIS CHILDREN/ ELIZABETH/ WHO DIED 26 MAY 1833/ AGED 15 MONTHS/ GEORGE/ WHO DIED 3 FEBRUARY 1854/ AGED 9 YEARS/ THOMAS/ WHO DIED 15 NOVEMBER/ AGED — —/ WILL— — —/ DIED 2 —- [headstone 1]. (b) —– —–/ HENRY S—-/ DIED AT PORTL—-/ 14TH APRIL 1882/ BETHEA SC—/ DIED AT STR——–/ 23RD JA—— —– [headstone 2]. (c) EDITH (RONALD) SCOTT, OCTR 19TH 1842, MARCH 7TH 1905 [kerbstone 1]. (d) 1ST 1827, DECR 20TH 1906 [kerbstone 2]. [NB. This complex memorial is in a very fragmentary state.] [105 – Thomas died 15.11.1857 aged 20 years; son Walter MD died at Hamilton, Victoria, 19.8.1874 aged 34 years; William Scott jnr born 21.1.1827 died 20.12.1906; his wife Jane Patrick died 23.2.1860 aged 27 years; Henry died at Portland, Victoria, 14.4.1883 aged 54; Bethia Scott Alexander died at Streetsville, Ontario, Canada, 6.1889 aged 47 years].
- Flat. 170 x 87. W—/ WALTER —— 1761/ WILL———/ WILLIAM ——- —4/ ALSO THE — —-. [stone covered by debris]. [106 – 1745; William Scott; Walter Scott of Jawcraig 1761; son William 1814; William Scott 1825; their spouses and children].
- Head, S-arch. 133 x 76 x 13. 1828/ JOHN RUSSEL/ AND/ JANET ARTHUR. [107].
- Head, tri-lobed (illus). 127 x 72 x 12. Fallen inscription down. RR.MG/ 1729. [10]
- Head, tri-lobed. 83 x 88 x 13. 1830/ ERECTED/ BY/ WILLM HAY & MARY SHIELDS/ in memory of their son/ WILLIAM HAY/ who died the 28 of August 1829./ aged 5 years. [109].
- Head, square. 65 x 67 x 14. 1871/ ROBERT AITKEN/ AND/ MARGARET ARTHUR.

- Head, square plinth. 40 x 33 x 25. ERECTED/ TO THE MEMORY OF/ WILLIAM TAYLOR/ TEACHER/ MUIRAVONSIDE/ BY FRIENDS AND PUPILS/ ATTENDING HIS SCHOOL/ DIED 18TH DEC 1883/ IN HIS 17TH YEAR.
- Head, ogee & cavetto corners. 85 x 93 x 11. (a) THE BURYING PLACE OF/ JAMES TURNER/ AND/ JANET ANDERSON/ AND/ THEIR CHILDREN. (b) 1806 [along top]. [110].
- Flat. 190 x 95. 1791. [98].
- Head, 5-lobed. 110 x 92 x 18. Fallen face down.
- Head, 4-lobed. 90 x 76 x 13. 1823/ The ProPerty of/ JOHN GRAHAM/ and/ MARY GARDINER. [97].
- Head, arched. 180 x 66 x 18. Fallen face down.
- Head, very low arch. 75 x 81 x 12. ERECTED BY/ JANE PATON/ IN MEMORY OF HER HUSBAND/ THOMAS FORRESTER,/ WHO DIED 23RD OCTR.1857,/ AGED 66 YEARS./ JANE PATON, HIS WIFE/ DIED SEPTR 1875:/ AGED 84 YEARS.
- Flat (chamfered corners as this may have been a head stone once). 78 x 63 x 7. IS 11 [ May be 1811]
- Flat. Earthbound.
- Head, top missing. 144 x 66 x 21. IN MEMORY OF/ THOMAS MAIN,/ BORN AT LODGE, 28TH MARCH 1787,/ DIED AT LOANRIDGE 18TH JUNE 1873,/ AGED 86 YEARS./ HE LEFT ONE THOUSAND POUNDS/ TO FOUND FOUR UNIVERSITY/ BURSARIES FOR YOUNG MEN,/ NATIVES OF THE PARISHES OF/ SLAMANNAN, CUMBERNAULD, KILSYTH, AND U.P. CONGREGATION/ OF DENNYLOANHEAD, TO BE HELD/ FOR FOUR YEARS. [91].
- Column. (a) JANET STORRIE/ BORN SEPT.19, 1767./ DIED MARCH 17, 1830./ THOMAS RUSSELL/ BORN MAY 18, 1744./ DIED JAN.19, 1838./ WILLIAM RUSSELL/ BORN MAY 15, 1793,/ DIED JUNE 23, 1860. [on front]. (b) IN MEMORY OF/ THOMAS RUSSELL/ BORN 6TH JAN.1801,/ DIED 14TH DEC.1869./ JANET SCOTT/ HIS WIFE/ BORN 11TH FEB.1819,/ DIED 5TH SEP.1890/ ALSO/ CATHERINE BLACK WADDELL,/ WIFE OF/ THOMAS RUSSELL/ DIED 22ND MAY 1918 AGED 65 YEARS/ THE ABOVE THOMAS RUSSELL/ DIED 1ST MAY 1929, AGED 78 YEARS [on side panel]. (c) ALSO MARY RUSSELL/ BORN 10TH APRIL 1860 DIED 27TH MARCH 1957 [on side of base]. (d) OUR/ PARENTS & BROTHER/ GREENHILL FAMILY/ ERECTED BY/ JOHN & JANET RUSSELL/ of Kingston New York/ 1842 [on back panel]. [92].
- Flat, pediment. 117 x 88. (a) IN MEMORY OF/ JOHN RUSSELL OF EASTER GREENHILL/ WHO AFTER A LONG AND PROSPEROUS RESIDENCE ABROAD/ AND A FEW YEARS OF WELCOME RETIREMENT AT HOME/ DEPARTED THIS LIFE/ ON THE 2ND DECEMBER 1873/ Blessed are the pure in heart for they shall see God. [side 1]. (b) A TRIBUTE OF AFFECTION/ THIS MARBLE MEMORIAL/ IS DEDICATED TO HIM/ & HIS DEVOTED SISTER AND CONSTANT COMPANION/ JANET RUSSELL/ Thy brother shall rise again. [side 2]. [93].
- Head, pediment surmounted by an urn. c200 c 68 x 20. Fallen face down.
- Head, central arch. 180 x 68 x 23. Fallen face down.
- Head, square. 52 x 51 x 8. ERECTED B-/ ALEXR MARSHALL/ in memory of/ JANET GRAHAM/ his spouse/ 1828. [96].
.

- Head, 5-lobed. 60 x 68 x 17. (a) IM MR. (b) 1740/ John/ Mungal and margret/ Rankin [back] [94].
- Head (illus). 95 x 76 x 17. (a) 1745/ here lys the dust/ of Robert Kirkwood/ who departed/ this life Ap: the/ 2 Anno 1745/ Aged 67 years 2/3. (b) RK [on back]. (c) DC CW [on top]. [95].
- Flat. 168 x 49. I/ 1671/ P.S.J.-/ 1820/ IOHN INGL-/ New———–. [89].
- Flat. 183 x 84. —ERT —/ -187 [1787?]. [88].
- Flat. 155 x 60. —-/ 1654. [86].


- Flat. 180 x 79 x 15. 1859/ J.B. A.R./ AND/ THEIR CHILDREN. [85].
- Head, ogee (illus). 75 x 73 x 12. (a) — AGNES –GRAYS IH- — LIES HERE/ JAMES GRAY – AGNES RANKEN DAUGHT/ER/ WHO —/ NOVEMBER SEVENTEEN HUN/DER THIRTY IX DEATH CALLS/ THE FIRST; NEXT JULY FIFTH/ DAY AGNES ALSO FALLS. (b) —– —- —-/ —HE– — -UE— [along top]. (c) IG/ AR/ ANNO DGM:1740 [back]. [87].

- Head, triangle. 200 x 76 x 16. Erected by/ WILLIAM HAILSTONES/ IN MEMORY OF HIS FATHER/ ROBERT HAILSTONES/ BELOVED HUSBAND OF/ JESSIE FRASER,/ WHO DIED 15TH JANY 1886 AGED 51 YEARS./ ALSO HIS SISTERS/ CHRISTINA DIED 24TH SEPT.1869 AGED 5 ½ YEARS./ CATHERINE/ DIED 23RD JANY.1887 AGED 19 YEARS./ THE ABOVE/ JESSIE FRASER/ DIED 13TH JUNE 1909 AGED 75 YEARS/ THE ABOVE/ WILLIAM HAILSTONES/ DIED 10TH MARCH 1931 AGED 64 YEARS.
- Head, low curve. 60 x 78 x 12. 1838/ SACRED/ TO THE MEMORY OF/ ROBERT BROWN AND/ JANET DANSKINE/ ERECTED/ BY THEIR CHILDREN. [84].
- Head, low curve & cavetto. 80 x 77 x 13. (a) ANNA RANKEIN/ SPOWSE TO JAMES/ BROWN DEPARTED THISS/ LIFE OCTOBER 21th 1773/ AGED 26 YEARS ALSo JOHN AND/ JAMES BROWN THEIR CHILDREN/ JOHN BROWN DEPARTED THIS LIFE/ OCTOBER 11TH 1770 AGED 70 YEARS/ ALSOW ELESBETH SALMOND/ HIS SPOWS DEPARTED THIS LIFE APRIEL 27TH 1768 AGED 161/ YEARS 1776. (b) MARY BROWN DAWGHTER/ TO JAMES BROWN DEPARTED [along top]. (c) THIS LIFE DESEMBER 2 1776 AGED 5 YEARS/ BY HAMMER AND HAND ALL AIRTS DO STAND [back]. [83].
- Flat. 163 x 55. No inscription
- Flat. 174 x 66. (a) WF MR/ 1822. (b) 1700/ H— / IAMES HA- [in sunken panel]. [81].
- Flat. 186 x 100. WF MR 1822. [82].


- Head, arched. 117 x 59 x 15. (a) IN/ MEMORY/ OF/ GEORGE WAUGH/ WHO DIED 15TH OCTOBER 1861/ AGED 50 YEARS/ AND HIS WIFE/ MARY STARK/ WHO DIED 3RD DECEMBER 1888/ AGED 78 YEARS. (b) “The dead in Christ shall rise” [On base].
- Head, arched. 117 x 61 x 17. (a) IN/ MEMORY/ OF/ JANE PATRICK DYKES/ WIFE OF/ REV/ GEORGE WAUGH B.D./ MISSIONARY INDIA/ WHO DIED 3RD MAY 1897/ AGED 38 YEARS. (b) “BEFORE THE THRONE” [On base]
- .Head, low arch. 85 x 80 x 12. (1) 1845/ ERECTED/ BY/ JAMES AITKENHEAD/ IN MEMORY OF HIS/ FATHER JOHN AITKENHEAD/ WHO DIED JUNE 1827/ ISABELLA GRAY. (2) HOLDS 3 LAIRS [along top]. [80].
- Flat. 170 x 65. Raised lettering only faintly visible.
- Flat. 150 x 95. 1795/ THIS IS THE BURYING/ PLACE OF JAMES BROUN/ PORTIONOR OF GLENTOR/ AND MARY RUSSELL HIS/ SPOUS WHO DIED THE 10/ OF FEB 1792 AGED 77/ / AND THOMAS BROUN/ THERE SON WHO DIED/ THE 8 OF MARCH 1795/ AGED 12 ALSO JAMES/ BROUN THERE SON/ WHO DIED THE 15 OF/ MAY 1790 AGED 8/ YEARS. [79].
- Head, ogee. 205 x 76 x 14. (1) SACRED/ To The Memory Of/ JOHN JAMES ARTHUR/ Son Of The Late/ DR WILLIAM ARTHUR/ of Balcastle,/ Who Died 10th Octr.1908,/ Aged 34 Years./ MARY ANN ARTHUR/ Widow of The Said/ DR WILLIAM ARTHUR/ Who Died 24th July 1910,/ Aged 68 Years. (2) DOUGLAS [on plinth].
- Fallen headstone? 115 x 50. No inscription.
- Head, cavetto. 45 x 61 x 13. JR/ MB/ 1741.

- Head, S-arch. 80 x 93 x 13. 1832/ The Burying Place/ of/ ROBERT MUNGAL/ and/ JANET CUTHAL/ and their Children. [78].
- Pedestal. (1) TO THE MEMORY OF/ THE REVD. ALEXR. DAVIDSON/ WHO DIED/ 29TH OCTOBER 1855, IN THE 86TH YEAR OF HIS AGE/ AND/ 30TH OF HIS MINISTRY/ IN THIS PARISH./ – / ERECTED/ BY A NUMBER OF THE HERITORS/ AND PARISHIONERS/ IN TESTIMONY OF/ THEIR REGARD FOR HIM AS/ AN UPRIGHT MAN, A SINCERE CHRISTIAN/ AND/ A FAITHFUL MINISTER. (2) “Mark the perfect man and behold the upright,/ for the end of that man is peace” P XXXVII.37/ “Precious in the sight of the Lord is the death/ of his saints.” P CXVI.13. [on upper plinth]. (3) ARCH.RITCHIE/ EDIN. [on lower plinth].
- Head, pediment. 185 x 72 x 22. (1) IN MEMORY OF/ WILLIAM STORRIE,/ OF BANKHEAD, DIED 7TH MAY 1874./ MARY HARVIE,/ DIED AT BANKHEAD/ 18TH NOVR 1887./ WILLIAM STORRIE,/ HER HUSBAND DIED 8TH JANY 1889./ ALSO THEIR DAUGHTER/ MARION/ WHO DIED AT BANKHEAD, 24TH MARCH 1824./ ALSO THEIR DAUGHTER/ JANE/ WHO DIED AT BANKHEAD, 1ST APRIL 1936./ ALSO THEIR DAUGHTER/ ISABELLA/ WHO DIED 14TH JANUARY 1947. (2) MOSSMAN GLASW [on plinth].
- Head, square. 30 x 41 x 14. WR JB/ 1825. [77].
- Head, low arch. 110 x 93 x 12. ERECTED/ BY/ WILLIAM JOHN AND HENRY/ ROBERT IN MEMORY OF THEIR/ FATHER WILLIAM ROBERT PROPI/ETOR OF BRIDGEHILL AND BAD=/CUR WHO DIED 28TH FEBRUARY/ 1825 AGED 87 YEARS. [76].
- Head, cavetto & ogee. 45 x 88 x 12. (1) Robert Taylor/ Elizabeth Robertson. (2) 1811 [along top]. [75].
- Head. 80. Only the stub remains.
- Head, pediment. 165 x 90 x 17. HERE REST THE EARTHLY REMAINS OF/ ROBERT MUNGAL/ OF BULZIONDALE/ WHO DIED 7TH JULY 1836, AGED 80. [66].
- Head, flat pediment. 215 x 67 x 74. (1) SACRED/ TO/ THE MEMORY OF/ ROBERT ARTHUR/ WHO DIED 10TH JULY 1866,/ AGED — YEARS./ MARGARET STARK/ WIFE OF ROBERT ARTHUR/ DIED — — —- — 60 YEARS/ CATHERINE WATT/ WIFE OF WILLIAM WATT/ DIED — — –77 AGED 67 YEARS. (2) “With Christ which is far better” [on back]. (3) R.GRAY. GLASGOW [on plinth]. [68].
- Head, ogee & arch. 80 x 82 x 10. 1834/ THE BURIENG/ PLACE OF ROBERT/ ARTHUR AND JEAN/ SHANKS HIS WIFE/ WHO DIED THE 20/ SEPTEMBER 1832. [67].
- Head, ogee & cavetto. 70 x 82 x 12. Here lyes the Corps/ Of James Hay/ Who died Sept 5th 1811 Aged/ 11 years/ JOHN HAY MARGARET/ THOMSON. [69],
- Head, pediment. 75 x 71 x 8. 18– / THE BURYING PLACE/ OF/ JAMES WILSON/ AND/ MARGARET SHANKS/ [AND THEIR CHILDREN]. [70].
- Head, S-arch. 70 x 81 x 8. 1852/ THE BURYING PLACE/ OF/ JAMES SHANKS/ AND/ ANN HAY/ AND THEIR CHILDREN. [71].
- Head, tri-lobed. 115 x 84 x 10. 1832/ SACRED/ To the Memory of/ GEORGE HILL/ Shaips=Banks Who Died/ The 5th March 1811 Aged 81 Years/ Also/ JEAN WALKER his Spouse/ Who Died the 27th July 1851/ Aged 82 Years/ ERECTED/ By/ Their Children. [72].
- Head, low arch. 75 x 84 x 10. 1832/ JOHN WALKER/ ELIZABETH ANDERSON. [73].
- Head, cavetto. 65 x 91 x 16. (1) WILLIAM DICKSON/ JANE RUSSEL. (2) 1820 [along top]. [74].
- Head, S-arch. 110 x 50 x 11. IN MEMORY OF/ ROBERT TAYLOR, BLACKSMITH/ DIED 1878./ AND HIS WIFE/ JANET GRAY, DIED 1878./ THEIR SONS/ ROBERT, HENRY, JAMES & JOHN,/ THEIR DAUGHTER/ MARY TAYLOR, DIED 1897./ WIFE OF/ CHARLES McLEAN, BLACKSMITH/ DIED 1902.
- Head, rustic. 95 x 65 x 15. IN/ LOVING MEMORY OF/ JEAN TAYLOR FRASER/ DAUGHTER OF ROBERT TAYLOR,/ BLACKSMITH/ DIED 20TH DECEMBER 1923/ HER SON ROBERT CHARLES/ DIED 13TH MARCH 1889/ HER DAUGHTER JENNIE GRAY/ WIDOW OF MATHEW SMITH/ DIED 27TH AUGUST 1946.
- Flat. 125 x 69 x 12. Worn smooth.
- Pedestal with cross. 160 x 43 x 35. (1) ERECTED BY/ WILLIAM GRAY/ IN MEMORY OF HIS WIFE/ JANE BOYD/ WHO DIED 15TH JUNE 1883 [upper plinth]. (2) WILLIAM GRAY/ DIED 27TH APRIL 1901 [middle plinth]. (3) BEAR THE CROSS AND WIN THE CROWN [lower plinth].
- Head, arch. 150 x 55 x 14. (1) ERECTED/ IN MEMORY OF/ HUGH REID,/ WHO DIED AT BLACKLOCH,/ 31ST AUGUST 1859,/ AGED 82 YEARS./ MARGARET WILLSON,/ HIS WIFE/ WHO DIED 8TH JUNE 1868,/ AGED 85 YEARS. (2) ERECTED/ BY/ HUGH REID &/ CATHERINE STARK/ IN MEMORY OF THEIR SON/ THOMAS/ WHO DIED AT BLACKLOCH/ 18TH MARCH 1866./ AGED 16 YEARS./ HUGH/ DIED AT SHIELDHILL,/ 15TH DECEMBER 1877,/ AGED 27 YEARS./ CATHERINE STARK,/ DIED AT NAPPIEFAULDS 24TH FEB.1898/ AGED 77 YEARS/ THE ABOVE HUGH REID/ WHO DIED AT NAPPIEFAULDS 8TH JUNE 1906/ AGED 83 YEARS/ JOHN REID, NAPPIEFAULDS,/ DIED 21ST FEBY.1919, AGED 57 YEARS./ JAMES REID SHIELDHILL,/ DIED 20TH JANY 1922, AGED 62 YEARS. [on back]. (3) “From time to time my grave you see/ Prepare yourselves to follow me.” [on upper plinth]. (4) R.GRAY GLASGOW [on lower plinth].
- Head, arch. 100 x 67 x 16. 1867/ ERECTED/ IN MEMORY OF/ GEORGE MUNGALL/ WHO DIED AT PIRNIELODGE/ 24TH AUGUST 1866 AGED 61 YEARS.
- Head, low arch. 65 x 46 x 6. ERECTED/ BY/ WM KIDD IN MEMORY OF/ JOHN McG KIDD/ DI 23 JAN 1884 AG 4 YE AND/ & 6 MONTHS.
- Head, central arch. 60 x 51 x 10. 17.IS IB.34. [60]
- Head, pediment & urn. 230 x 170 x 20. (1) ARTHUR [ in pediment]. (2) TO/ THE MEMORY OF [in centre]. (3) JOHN ARTHUR OF BALCASTLE/ WHO DIED 23RD DECEMBER 1882/ AGED 80 YEARS./ ISABELLA ARTHUR, HIS WIFE/ WHO DIED 12TH JANUARY 1883/ AGED 75 YEARS/ JAMES ARTHUR, SUGEON THEIR SON/ WHO DIED 29TH OCTOBER 1866/ AGED 33 YEARS/ HENRY ARTHUR THEIR SON/ WHO DIED 17TH APRIL 1881/ AGED 44 YEARS/ JOHN ARTHUR, PHYSICIAN & SURGEON, THEIR SON/ WHO DIED 3RD JUNE 1882/ AGED 42 YEARS. [left hand slab]. (4) WILLIAM ARTHUR OF BALCASTLE, M.D./ AND J.P. FOR STIRLINGSHIRE/ WHO DIED 22ND DECEMBER 1886/ AGED 44 YEARS./ AND/ ISABELLA FRANCES MARIAN ARTHUR/ WHO DIED 13TH MAY 1920/ AGED 43 YEARS./ THE LAST DESCENDANT/ OF THE ARTHUR, FAMILY/ WHO OWNED AND OCCUPIED “BALCASTLE ESTATE”/ FOR OVER 300 YEARS. [right hand slab]. (5) MOSSMAN & Co [on plinth].
- Foot, triangle. 110 x 45 x 8. M/ IN/ LOVING MEMORY OF/ ALEXANDER MARTIN/ BELOVED HUSBAND OF/ MARY TRIPNEY/ DIED 6TH APRIL 1948/ AGED 84 YEARS.
- Head, rustic. 80 x 54 x 12. (1) W/ IN MEMORIAM/ DAVID D WATTERS/ 1917-1935/ STUDENT EDIN. UNIVERSITY/ AND HIS GREAT GRANDPARENTS/ DONALD McKELLAR/ 1821-1887./ JANET PATERSON/ 1822-1903. (2) C. ROGER/ BATH. [on plinth].
- Head, ogee. 65 x 67 x 12. (1) 1838/ THOMAS HILL/ AND/ JEAN RUSSELL. (2) 1815/ WALTER STEUART/ ELISABETH HILL [on back]. [65].
- Head, low arch. 55 x 49 x 9. H.M.C.J./ 1826. [64].
- head, ogee & cavetto. 92 x 81 x 7. 1856/ THE BURYING PLACE/ OF/ JOHN BOYD/ AND/ JANET ALLAN/ AND/ THEIR CHILDREN/ MARION R. BOYD FERGUSON/ DIED 24TH OCT 1872, AGED 26 YEARS./ MARION R. FERGUSON/ DIED 27TH OCT 1872, AGED 23 DAYS/ MA——- —–. [63].
- Head, arch. 60 x 66. Fallen face down.
- Head, centre arch. 170 x 53 x 11. (1) H/ ERECTED BY/ JEANIE SALMOND/ IN LOVING MEMORY OF/ HER HUSBAND/ WILLIAM HODGE,/ DIED AT BOXTON FARM, / 8TH APRIL 1912, AGED 86 YEARS./ ALSO THE ABOVE/ JEANIE SALMOND,/ DIED AT BOXTON FARM,/ 25TH FEB.1937, AGED 87 YEARS. (2) DOUGLAS [on lower plinth].
- Head, arch. 120 x 50 x 13. Erected By/ ISABELLA CROSSAN or JARDINE/ Late of/ INVERCARGILL, N.Z./ DIED 23.AUG.1906, AGED 65./ IN LOVING MEMORY OF HER FATHER/ WILLIAM CROSSAN,/ DIED 31.OCT.1878, AGED 73./ HER MOTHER/ JANE KIRKWOOD,/ DIED 2.DEC.1881, AGED 65./ HER BROTHERS/ JAMES, AGED 5 YEARS./ THOMAS, AGED 15 YEARS./ HER SISTER/ MAGGIE, AGED 2 YEARS./ HER NEPHEW & NIECE/ JAMES HAILSTONES, AGED 4./ JEAN HAILSTONES, AGED 6./ ALSO HER BROTHER-IN-LAW/ ALEXANDER HAILSTONES/ DIED 19TH OCT.1907 IN HIS 58TH YEAR.
- Head, centre arch. 75 x 66 x 19. IP.IB/ MP.IP/ here Lyes the C—–/ — —-s pender who/ died febuary 28 17o1/ Aged 75. [61].
- Head, 2-lobed with raised corners. 80 x 76 x 11. ERECTED IN MEMORY/ OF ROBERT ARTHUR/ —– AGNES ALLAN/ AND THEIR CHILDREN/ 1800. [62].
- Head, centre arch with raised corners. 95 x 75 x 8. 1865/ ERECTED BY/ JAMES LOVE/ AND/ MARGARET KERR/ IN MEMORY OF THEIR SON/ WILLIAM LOVE/ WHO DIED FEBY 10TH 1864/ AGED ONE YEAR./ MARY LOVE/ DIED DECR 16TH 1866, AGED 22 MONTHS/ HOLDS 2 LAIRS.
- Table. 197 x 111. 1825/ SACRED/ TO THE MEMORY OF/ ROBERT RALSTON ESQUIRE/ OF ELLRIG WHO DIED/ 19 MAY 1823 AGED/ 88 YEARS. [59].
- Obelisk. 440 x 50 x 50. (1) To/ the Memory of/ WILLIAM WOOD/ OF/ TOWNHEAD AND MOSSCASTLE/ WHO DIED AT GLEN=ELLRIGG/ AUGUST 21ST 1842/ AGED 54 YEARS./ ERECTED/ BY A FEW FRIENDS IN/ SLAMANAN AND FALKIRK/ IN TOKEN OF RESPECT FOR/ HIM AS AN UPRIGHT, A/ BENEVOLENT, AND A HUMANE MAN. (2) HERE ALSO REPOSE/ THE ASHES OF/ MARY MAIN RELICT OF/ WILLIAM WOOD,/ OF MOSSCASTLE/ WHO DIED 28TH JULY 1854,/ AGED 54 YEARS. [on side]. (3) W.HUME FALKIRK [on upper plinth]. [58].
- Flat. HERE LYES THE DUST OF/ JAMES WOOD OF MOSSCASTLE/ WHO DIED 1774/ ALSO THE DUST OF/ SWASANNA WOOD/ HIS GRAND DAUGHTER/ Also JAMES WOOD AND/ SUSANNA ALISON/ HERE LYES THE DUST OF/ JAMES WOOD SON OF JAMES WOOD/ AND SUSANNA WEIR. [57].
- Head, S-arch. 85 x 82 x 9. TO/ THE MEMORY OF/ JOHN BOYD/ WHO DIED 4TH APRIL 1826./ ERECTED BY/ CHRISTIAN NELSON, HIS RELICT,/ WHO DIED 17TH JUNE 1851. [56].
- Head, ogee & cavetto. 95 x 73 x 11. (1) 1855 [along top]. (2) THE/ PROPERTY OF/ WILLIAM AULD, LILLIAS RUSSELL/ AND THEIR CHILDREN. [55].
- Head, urn. (1) IN MEMORY O/ HER FATHER IN LAW/ JOHN M. CULLOCH/ WHO DIED 30TH JULY 1862/ AGED 66 YEARS. (2) ISABELLA MARSHALL/ DIED 14TH MAY 1881, AGED 4 YEARS [on upper plinth]. (3) R.GRAY [lower plinth].
- Head, pointed arch. 190 x 62 x 14. (1) ERECTED BY/ MARGARET WILSON/ IN/ LOVING MEMORY OF/ HER HUSBAND/ MICHAEL SCOTT, DIED 16TH JAN.1903 AGED 55 YEARS./ THEIR SON JAMES,/ DIED 15TH SEP.1877 AGED 3 YEARS./ ALSO THE ABOVE/ MARGARET WILSON,/ DIED 20TH DECR 1931, AGED 78 YEARS/ THEIR DAUGHTER ELLEN,/ DIED 1ST MAR.1946, AGED 58 YEARS. (2) GONE BUT NOT FORGOTTEN. [on upper plinth].
- Head, triangle. 120 x 71 x 12. MATHEW WADDELL/ ERECTED BY/ &/ SAMUEL BECK/ & JANET WADDELL/ THEIR CHILDREN/ THE ABOVE SAMUEL BECK/ DIED 23 APRIL 1812/ AGED 74 YEARS/ JANET WADDELL.
- Head, discoid. 35 x 31 x 15. No inscription.
- Head, triangle. 180 x 65 x 13. (1) “THY WILL/ BE DONE”/ ERECTED BY/ GEORGE INVERARITY/ IN MEMORY OF HIS WIFE/ MARY DONALDSON/ WHO DIED AT ROYAL INFIRMARY EDINBURGH,/ 22ND AUG.1916, AGED 83./ THE ABOVE/ GEORGE INVERARITY/ WHO DIED 9TH APRIL1927, AGED 75. (2) INVERARITY [on upper plinth].
- Head, ogee. 60 x 88 x 10. 1870/ THE BURYING PLACE OF/ JOHN MARTIN AND JANET CLARK/ AND THEIR CHILDREN.
- Head, ogee & arch. 100 x 66 x16. (1) ERECTED BY/ MARY BROOM/ IN MEMORY OF HER SON/ GEORGE REID/ WHO DIED 6TH NOV 1865,/ AGED 2 YEARS & 6 MONTHS./ ALSO WILLIAM WHO DIED 21ST SEP 1863,/ AGED 17 MONTHS. ALSO JAMES REID HER HUSBAND/ WHO DIED 2ND JUNE 1874,/ AGED 65 YEARS./ PETER REID/ WHO DIED 5TH AUGUST 1876,/ AGED 24 YEARS./ GEORGE REID/ DIED 10TH OCT 1883 AGED 27 YEARS./ JAMES REID/ DIED 7TH JULY 1885, AGED 50 YEARS./ MARY BROOM/ DIED 21ST FEB 1896, AGED 77 YEARS./ AGNES EXFORD/ DIED AT NEWCRAIG/ 24TH APRIL 1910 AGED 71 YEARS. (2) HOLDS 2 LAIRS [along top].
- Head, S-arch. 140 x 85 x 15. (1) 1860/ ERECTED BY/ JAMES MAIN AND CATHERINE INGLIS/ IN MEMORY OF THEIR CHILDREN/ ANN SPEIRS,/ DIED 13TH MARCH 1859, AGED 3 YEARS AND 2 MONTHS/ JAMES,/ DIED 4TH JULY 1859, AGED 9 MONTHS./ THEIR SON JOHN, DIED 4TH JANY 1868,/ THEIR DAUGHTER JANET DIED 5TH JANY 1888,/ THE ABOVE JAMES MAIN DIED 27TH 1895 AGED 66./ THE ABOVE CATHERINE INGLIS DIED 12TH JANY 1918 AGED 88. (2) JG [on side].
- Head, pediment. 180 x 74 x 17. ERECTED BY/ ISABELLA FLEMING/ IN MEMORY OF HER HUSBAND/ JAMES DOWNS/ WHO DIED 22 SEP—18–/ AGED 62 YEARS/ THE ABOVE IZABELLA FLEMING/ WHO DIED – JUNE 1879/ AGED 62 YEARS/ JESSIE DOWNS/ WHO DIED 8 FEBRUARY 1881/ AGED 5 WEEKS/ JOHN DOWNS/ WHO DIED 10TH APRIL 1898 AGED 44 YEARS/ BELOVED HUSBAND OF/ ELIZABETH MARTIN/ —- —- —/ —- — —/ WILLIAM S-ARK — — –NAN/ 19TH — — —- —.
- Head, ogee & cavetto. 95 x 84 x 7. (1) ERECTED/ BY/ THOMAS PEAT/ AND/ ELIZABETH CHALMERS,/ IN MEMORY OF THEIR DAUGHTER/ CHRISTIAN PEAT/ WHO DIED 3D MARCH 1855,/ AGED 21 YEARS./ DEEPLY REGREAITED/ ELIZABETH CHALMERS/ DIED 19TH MARCH 1859 AGED 68 YEARS/ / THOMAS PEAT DIED JAN 25TH 1875 AGED 3 YEARS/ JOHN GIBSON PEAT DIED 18TH —— —-/ -MO—AGED 8 MONTHS —-. (2) 2 LAIRS [along top].
- Obelisk. 260 x 49 x 50. (1) ERECTED/ BY/ MARY PEAT/ IN LOVING REMEMBRANCE/ OF HER MOTHER/ ISABELLA MORTON/ WHO DIED 29TH NOVR 1872/ ALSO/ HER FATHER/ THOMAS PEAT/ WHO DIED 24TH JANY 1875. (2) “SO SHALL WE EVER BE WITH THE LORD” [on upper plinth].
- Flat. 210 x 97. 1806/ JOHN SHAW and/ ELISABETH SHANKS.
- Flat. 210 x 95. HERE LIES THE CORPS OF/ IOHN SHAW LATE OF —-/ HERE IN R——–/ INE LEA—OWz-E–. [44].
- Table. 180 x 90. To the Memory/ of/ The Revd Mr JOHN KNOX/ Minister of the gofpel/ in SLAMANNAN/ who departed this life/ on the XII of June/ MDCCLXXVII/ in the LXI year of his age/ and XXIV of his Ministry/ This ftone/ is placed here/ by/ his Representative/ JOHN KNOX. [43].
- Head, square. 160 x 115 x 25. (1) RHS [monogram at apex]. (2) IN MEMORY OF/ THE REVD ROBERT STEVENSON HORNE/ FOR THIRTY ONE YEARS THE MINISTER OF SLAMANNAN/ HE DIED 30TH APRIL 1887, AGED 56 YEARS./ THIS MONUMENT/ WAS ERECTED BY MEMBERS OF HIS CONGREGATION/ AND OTHER FRIENDS,/ IN TESTIMONY OF THEIR ESTEEM OF HIM AS A FAITHFUL MINISTER/ A WARM FRIEND, A WISE COUNSELLOR,/ AND THE TRUSTED LEADER IN ALL MOVEMENTS FOR/ THE ADVANCEMENT OF THE PUBLIC GOOD. HERE ALSO LIES MARY LOCHEAD HIS WIFE,/ WHO THROUGHOUT HIS MINISTRY IN THIS PARISH/ SHARED HIS LIFE AND HIS LABOURS/ SHE DIED IN EDINBURGH ON 26TH NOVEMBER 1925, IN HER NINETIETH YEAR. (3) “Be Ye Also Ready” [on upper plinth].
- Head, square. 185 x 117 x 17. ERECTED BY/ ELIZABETH SHANKS ANDERSON/ IN MEMORY OF HER BELOVED HUSBAND/ THOMAS WAUGH/ WHO DIED AT HOLEHOUSE/ 5TH JULY 1886, AGED 84 YEARS./ ALSO THE ABOVE/ ELIZABETH S. ANDERSON/ WIDOW OF THE SAID THOMAS WAUGH, WHO DIED AT/ HOLEHOUSE, 17TH MARCH 1911, AGED 81 YEARS.
- Head, triangle & corner blocks. 60 x 85 x 13. ERECTED BY/ THOS. PATON/ TO THE MEMORY OF/ JEAN WADDELL/ WHO DIED THE 3 DAY OF JULY 1849/ AGED 42 YEARS/ AND THEIR CHILDREN. [42].
- Head, square. 35 x 90 x 12. 1841/ JAMES PATON. [41].
- Pedestal. 220 x 37 x 37. (1) Erected By/ CATHERINE CUTHELL/ In Loving Memory Of/ HER HUSBAND/ ROBERT STIRLING,/ WHO DIED 2ND MAY 1905,/ AGED 68 YEARS./ ALSO THEIR CHILDREN/ HENRIETTA CATHERINE/ WHO DIED IN CHILDHOOD/ ALSO THE ABOVE/ CATHERINE CUTHELL/ WHO DIED 10TH AUGUST 1918/ IN HER 82ND YEAR./ His Life Was Peace. (2) THEIR SON/ JOHN STIRLING/ BELOVED HUSBAND OF/ JEANIE PAGE/ WHO DIED 21ST OCTR.1914/ AGED 56 YEARS./ THE ABOVE/ JEANIE PAGE/ WHO DIED 23RD MAY 1943/ AGED 77 YEARS./ ALSO THEIR SONS/ JAMES/ DIED 24TH MARCH 1951/ AGED 57 YEARS/ JOHN/ DIED 8TH APRIL 1963/ AGED 74 YEARS/ THEIR DAUGHTER/ JANE/ DIED 31ST JULY 1967/ AGED 68 YEARS. [on side]. (3) STIRLING [on upper plinth].
- Head, low arch. 65 x 67 x 13. 1847/ ERECTED/ BY/ PETER GENTLEMAN. [14].
- Head, ogee & cavetto. 75 x 103 x 15. (1) 1866/ ERECTED BY/ JOSEPH BARTLEY/ AND/ MARGARET FERGUSON/ ELIZABETH BARTLEY THEIR DAUGHTER/ DIED NOVEMBER 16TH 1859/ AGED 5 MONTHS/ WILLIAM BARTLEY/ DIED 1ST OTOBER 1869 AGED 10 YEARS. (2) HOLDS 2 LAIRS [along top].
- Head, flat. 152 x 58 x 14. (1) In/ Loving Memory of/ ALEXANDER CAMERON,/ MINISTER OF SLAMANNAN/ FOR 22 YEARS./ WHO DIED 8TH JUNE 1968, AGED 59 YEARS./ BELOVED HUSBAND OF/ MARGARET URQUHART,/ DIED 29TH MARCH 1998/ AGED 84 YEARS. (2) DOUGLAS [on plinth side].
- Head, pediment. 210 x 74 x 22. (1) ERECTED BY/ JAMES JOHNSTON & AGNES TAYLOR/ IN MEMORY OF THEIR SON/ WILLIAM JOHNSTON/ WHO DIED 24 AUGUST 1872, AGED 25 YEARS./ ANNIE JOHNSTON/ WHO DIED 1ST MARCH 1873,/ AGED 12 YEARS./ THE ABOVE AGNES TAYLOR/ DIED 2ND SEP 1894, AGED 74 YEARS/ THE ABOVE JAMES JOHNSTON/ WHO DIED 9TH MARCH 1900,/ AGED 79 YEARS./ CHRISTINA STORRY JOHNSTON/ DAUGHTER OF HENRY JOHNSTON WESTCRAIGS/ DIED 17TH FEB 1910, AGED 1 YEAR & 11 MONTHS./ ALSO ANNIE SHANKS STORRY/ WIFE OF HENRY JOHNSTON,/ DIED 9TH JAN. 1923, IN HER 53RD YEAR./ ALSO THEIR SON JAMES JOHNSTON/ DIED 7TH MARCH 1940, AGED 78 YEARS./ ALSO THE ABOVE HENRY TAYLOR JOHNSTON. (2) WHO DIED 6TH FEBRUARY 1942, AGED 83 YEARS [on upper plinth].
- Head, ogee. (1) 1846 [in upper panel]. (2) ERECTED BY/ ROBERT INGLIS/ of Stoneridge & Linn Mill,/ in memory of/ CATHERINE CUR,/ his wife who died July 13 1845/ aged 26 years.
- Head, pediment. 185 x 63 x 20. ERECTED BY/ WILLIAM MAIN/ AND/ JANET TAYLOR/ IN MEMORY OF THEIR SON/ JAMES/ WHO DIED 11TH AUGUST 1871/ AGED 28 YEARS/ HENRY MAIN/ DIED 4TH JUNE 1878/ THE ABOVE WILLIAM MAIN/ DIED 9TH JANUARY 1887 AGED 81/ THE ABOVE JANET TAYLOR/ DIED 3RD JUNE 1896 AGED 83 YEARS/ MARY MAIN/ DIED 9TH DECR 1904 AGED 32 YEARS.
- Flat with rounded top. 182 x 64. 1791/ In Memory Of/ ANDREW FERGUSON, Of Dyke,/ Of His Son/ ANDREW FERGUSON/ Captain 6th Dragoon Guards (Carabineers)/ Of Nappiefaulds,/ Who Died 26th September 1856./ And Of/ MARION BERTRAM FERGUSON/ Daughter of Captain FERGUSON/ Who Died 7th July 1900.
- Head, pediment. 215 x 73 x 22. (1) SACRED/ TO THE MEMORY OF/ JAMES RANKINE,/ WHO DIED 24 FEBRUARY 1873,/ AGED 60 YEARS. DEEPLY REGRETTED/ MARY REID HIS WIFE/ WHO DIED 29TH JAN 1905 AGED 87 YEARS/ JAMES RANKINE, SON OF THE ABOVE/ WHO DIED 12TH FEB 1911 AGED 59 YEARS. (2) “Blessed are the dead who die in the lord” [on upper plinth]. (3) J G [on lower plinth].
- Head, ogee & curve. 45 x 92 x 15. JAMES EADDIE/ HELEN HENDERSON.
- Flat. 190 x 91. No inscription.
- Flat. 179 x 83. HERE LIES WILLIAM HASTIE/ WHO WAS MINISTER OF THE/ GOSPEL IN SLAMANNAN/ THE SPACE OF 40 YEARS/ HE DIED ON THE 11TH OF/ NOVEMBER 1755 AGED ABOVE/ EIGHTY THREE YEARS/ TO HIM CHRIST WAS GAIN/ BOTH IN LIFE AND DEATH/ Hic/ Quoque jacilil mortales/ Reliquia JOANNIS HASTIE/ et JANETTE HASTIE/ conjugis Gjus/ / Hic lapis icpolius/ A.D. MDCCCXX. [26].
- Head, triangle. 140 x 54 x 11. Erected by/ JOHN L. BARRIE/ In Memory of His Father/ WILLIAM BARRIE,/ Died 29th Sept 1889, Aged 62/ His Mother/ CATHERINE LOCH/ Died 24th Augt 1911 Aged 88/ The Above/ JOHN L BARRIE/ Died 2nd June 1926, Aged 64/ LILLIAS L BARRIE/ Died 24th JAN 1928 Aged 71/ WILLIAM BARRIE/ Died 26th March 1935, Aged 68. [40].
- Head, low arch. 60 x 70 x 9. 1829/ THOMAS BARRIE/ And/ MARGARET STEVENSON. [39].
- Head, ogee. 45 x 85 x 12. (1) 1795 [along top] (2) T.S. [38].
- Head, triangle. ERECTED BY/ THOMAS SHANKS/ IN MEMORY OF HIS FATHER/ JOHN SHANKS/ DIED 15TH MARCH 1900/ AGED 65 YEARS/ HIS MOTHER/ ELIZABETH SHANKS/ DIED 19TH OCTOBER 1918/ AGED 84 YEARS/ HIS SISTER MARY SHANKS/ DIED 18TH FEBRUARY 1927/ AGED 59 YEARS/ THE ABOVE/ THOMAS SHANKS/ DIED 2ND SEPT 1945 AGED 76 YEARS/ ANDREW SHANKS/ DIED 25TH MARCH 1952. [37].
- Head, square with rounded corners. 55 x 58 x 13. (1) IM.KM. (2) 17.24 [back]. [36].
- Head, central arch. 40 x 51 x 12. nC/ RM. [35].
- Flat. 199 x 99. 1825/ Holds Two Lairs/ This is the Property of/ WILLIAM CUTHIL/ ELISABETH BLACK/ and their Children. [29].
- Head, low arch. 90 x 89 x 12. GEORGE BOYD/ AND/ JANET OSWALD/ 1826. [34].
- Head, bi-lobed. 50 x 48 x 10. IY.MA.17/51. [33].
- Head, clipped corners. 75 x 84 x 11. 18 03/ ALEXR RUSSEL/ &/ MARY SMALL. [32].
- Head, square. 60 x 53 x 11. 1825/ The Property/ of James Arthur/ & Jane Graham/ and their/ Successors. [31].
- Head, square with rounded corners. 55 x 152 x 9. (1) 1830 [along top]. (2) JAMES HUME and CHRISTIAN LIDDELL. [30].
- Head, pediment. 155 x 57 x 21. (1) ERECTED/ BY/ JOHN BUCHANAN [in pediment]. (2) IN MEMORY OF/ HIS FATHER ANDREW BUCHANAN/ DIED 12TH DEC. 1872, AGED 57./ HIS MOTHER AGNES HOSIE./ DIED 17TH NOV.1894, AGED 79./ HIS WIFE JANE JOHNSTON,/ DIED 15TH DEC.1884, AGED 29./ THEIR SON ANDREW,/ DIED 27TH APRIL 1884, AGED 3 MONTHS/ THE ABOVE JOHN BUCHANAN,/ DIED 13TH DEC.1931, AGED 79./ HIS BROTHER-IN-LAW WILLIAM COCHRANE/ (HUSBAND OF MARY BUCHANAN)/ DIED 30TH MARCH 1885, AGED 31./ THE ABOVE MARY BUCHANAN/ DIED 6TH SEPT 1939, AGED 83./ THEIR YOUNGER DAUGHTER/ MARY COCHRANE/ DIED 21ST JULY 1961 AGED 76. (3) Go home dear friends and shed no tears,/ For we lie here till Christ appears;/ Be good, seek God when time you have,/ There’s no repentance in the grave. [on upper plinth]. (4) –S— GLASGOW [on lower plinth].
- Head, pediment. 185 x 74 x 18. ERECTED BY/ MARY WAUGH/ IN MEMORY OF HER HUSBAND/ JAMES GILLIES./ WHO DIED 27TH FEBRUARY 1870,/ AGED 58 YEARS./ AND THEIR DAUGHTER JANET GILLIES,/ WHO DIED 27TH APRIL 1871,/ AGED 19 YEARS./ JAMES GILLIES/ BELOVED HUSBAND OF/ ELIZABETH HENDERSON/ WHO DIED 3RD APRIL 1903, IN HIS 64TH YEAR.
- Head, square. 55 x 150 x 15. (a) 1808 [along top] (b) The burying Place of Alexander Gardner/ and Christian Allan his wife and their Children. [24].
- Head, S-arch. 85 x 67 x 5. 1862/ THE BURYING PLACE/ OF/ ROBERT LIDDELL/ AND/ JANET SHANKS/ AND THEIR HEIRS/ /HOLDS 2 LAIRS. [25].
- Head, triangle with lobes. 175 x 74 x 18. ERECTED/ BY/ WILLIAM SALMOND/ IN MEMORY OF HIS SON/ WILLIAM WHO WAS/ BORN APRIL 21TH 1871/ AND DIED JUNE 24TH 1871/ ALSO HIS SON PETER/ WHO WAS BORN FEBRUARY 27TH/ 1857 AND DIED JUNE 26TH 1876/ ALSO THE ABOVE WILLIAM SALMOND/ WHO DIED OCT 22ND 1903 AGED 71 YEARS/ HIS WIDOW AGNES W.HOGG/ DIED 8TH APRIL 1919 AGED 82 YEARS.
- Head, ogee & low arch. 90 x 76 x 10. (1) 1826 [along top]. (2) ERECTED IN MEMORY/ OF/ JOHN DUNLOP AND JANE WADDELL/ HIS WIFE, ALSO HIS SON MATHEW DUNLOP/ DIED 1ST JULY 1883, AGED 62 YEARS/ AND HIS WIFE AGNES ALEXANDER/ DIED 14TH JUNE 1906 AGED 90 YEARS.
- Head, ogee & cavetto. 75 x 120 x 13. 1861/ JAMES ROBERTSON/ AND/ MARGARET ARTHUR.
- Head, cavetto. 1796/ JW JA. [28].
- Flat. 178 x 93. 1797/ JOHN WAUGH/ and/ JIAN ARTHOUR. [See initials on 200] [27].
- Flat. 188 x 96. THIS IS THE BURING/ PLACE OF JOHNCHALMER/ OF ROUGHRIDGE AND/ ISBEL WILSON HIS SPOUS/ ALSO ISOBEL BRYSON DAU/GHTER OF ALEXANDER/ BRYSON. [19].
- Head, bi-lobed. 70 x 98 x 13. 18 70/ ERECTED BY/ JAMES AITKEN AND ANN LIDDELL,/ IN MEMORY OF THEIR CHILDREN.
- Head, cavetto. 90 x 77 x 12. (1) 1811 [along top]. (2) AR EC/ JOHN RUSSELL. [18].
- Head, square. THE PROPERTY/ OF/ JOHN BIZZETT/ AND/ ELIZABETH WADDELL/ AND/ THEIR HEIRS/ JEAN BIZZETT/ DIED 8TH FEBY 1848/ AGNES BIZZETT/ DIED 22ND MAY, 1856. [17].
- Head, S-arch. 75 x 77 x 15. 1836/ ROBERT GRAY/ AND/ MARY ARTHER. [16].
- Head, S-arch. 80 x 83 x 12. (1) HOLDS 2 LAIRS [along top]. (2) 1853/ DAVID TURNER/ DIED 11TH SEP 1852 AGED 56/ ALSO JANET DAVIE HIS WIFE/ DIED 24TH APR 1887 AGED 85./ JAMES CARLYLE/ DIED 13 JAN. 1897 AGED 83./ MARGARET TURNER WIDOW OF PETER DUNCAN/ DIED 12TH MARCH 1908 AGED 79 YEARS./ ANN TURNER WIDOW OF THE SAID JAMES CARLYLE,/ DIED 25TH JUNE 1914, AGED 74 YEARS. [Underlined parts have been added to their lines at a later date.] [15].
- Head, central arch pediment. 205 x 75 x 22. (1) Erected/ BY/ JANET RANKINE,/ IN MEMORY OF HER HUSBAND/ JOHN DRYSDALE,/ WHO DIED 29TH SEPT 1880 AGED 51 YEARS/ ALSO THEIR DAUGHTER/ MARGARET DRYSDALE,/ DIED 28TH JANY 1881 AGED 25 YEARS./ ALSO THEIR GRAND-DAUGHTER/ JANET RANKINE FERGUSON,/ DIED 4TH JULY 1884 AGED 4 MONTHS./ THE ABOVE JANET RANKINE/ DIED 27TH NOV 1902 AGED 72 YEARS./ CATHERINE HYNE/ BELOVED WIFE OF JOHN DRYSDALE/ DIED 9TH AUG.1925 AGED 67 YEARS./ ALSO THE ABOVE JOHN DRYSDALE/ DIED 2ND JULY 1935 AGED 77 YEARS. (2) BLESSED ARE THE DEAD WHO DIE IN THE LORD [on upper plinth]. (3) TRAYNOR/ AIRDRIE [on lower plinth].
- Head, rounded corners. 45 x 75 x 12. J.W. ERECTED M.D./ IN TOKEN OF ESTEEM/ AND RESPECT FOR/ MR JOHN ROBERTSON/ WHO WAS TEACHER OF/ GARBETHILL SCHOOL/ PARISH OF CUMBERNAULD/ 40 YEARS AND DIED 2D/ FEB 1843 AGED 64/ —. [23].
- Head, central arch. ERECTED/ TO THE MEMORY/ of JOHN LIDDELL And/ MARY WADDELL HIS WIFE/ who Died the 8th July 1846/ And he Died on The 14th/ March 1850. [22].
- Head, rustic wood. 175 x 86 x 16. (1) Erected/ TO THE MEMORY OF/ ELIZABETH WALKER,/ BELOVED WIFE OF/ ROBERT MUNGALL,/ DIED 13TH JUNE 1881 AGED 40 YEARS./ THEIR DAUGHTER ELIZABETH,/ DIED 17TH JULY 1887 AGED 12 YEARS./ THE ABOVE ROBERT MUNGALL,/ DIED 10TH OCTR AGED 72 YEARS./ THEIR DAUGHTER/ MARY MUNGALL,/ DIED 2ND MAY 1955 AGED 77 YEARS. (2) THY WILL BE DONE [on upper plinth]. (3) D MEFFAN [on lower plinth].
- Head, Gothic arch. 145 x 57 x 11. In/ memory Of/ THOMAS ROBERTSON/ Who Died at/ Crosshain Cottage/ 4th May 1824 Aged 69 Years/ Also MARY JOHNSTON His Wife/ Died 3rd March 1902 Aged 84 Years./ Also Their Sons/ JAMES,/ Died 20th Jan 1858 Aged 18 Months/ JOHN,/ Died 4th March 1867 Aged 22 Years./ THOMAS/ Died 18th Feby 1906, Aged 51 Years./ Their Daughter/ MARY ROBERTSON/ Died 20th September 1929.
- Head, triangle. 123 x 88. 1868/ ERECTED BY/ JOHN ROBERTSON/ AND/ WILLIAM GRAY/ IN MEMORY OF SUSANNA WOOD/ WHO DIED 28TH JULY 1867./ AGED 40 YEARS./ JAMES CHARLES GRAY/ DIED 15TH SEPR 1872 AGED 2 WEEKS/ MARGARET HASTIE ROBERTSON/ DIED 1ST JANY 1874 AGED 24 YEARS/ THE ABOVE JOHN ROBERTSON/ DIED 24TH DECR 1876 AGED 52 YEARS/ SUSANNA WOOD GRAY/ DIED 15TH –N 1877 — —.
- Head, S-arch. 80 x 56 x 7. 1864/ THIS IS THE/ BURYING PLACE OF/ SOLOMON HENRY/ AND/ ESTHER DOCHERTY/ HIS WIFE/ AND THEIR CHILDREN.
- Head, pediment. 115 x 77 x 12. (1) 1852 [pediment]. (2) THE BURYING PLACE/ of/ JAMES DOBBIE/ AND/ AMELIA SCOTT/ AND THEIR CHILDREN. [21].
- Head, plinth – broken- see No. 243. (2) TRAYNOR/ AIRDRIE [ON LOWER PLINTH].
- Pedestal. 330 x 55 x 55. (1) Erected By/ MRS JOHN SHANKS/ IN MEMORY OF HER BELOVED HUSBAND/ JOHN SHANKS/ OF WESTER JAW/ WHO DIED 6TH DECEMBER 1871/ AGED 77 YEARS./ AND OF THEIR DAUGHTER/ CHRISTINA/ WHO DIED 15TH NOVEMBER 1840/ AGED 4½ YEARS/ AND OF HER SISTER/ CHRISTINA ADAM/ WHO DIED 3RD JANUARY 1875/ AGED 77 YEARS./ JANET ADAM or SHANKS/ WHO DIED 22ND MARCH 1885/ AGED 82 YEARS. [on front panel]. (2) IN MEMORY OF/ JOHN, SON OF/ JOHN SHANKS/ OF WESTER JAW/ DIED 3RD FEB 1882/ AGED 5½ YEARS./ ALSO THE ABOVE/ JOHN SHANKS/ OF WESTER JAW/ DIED 11TH JULY 1907/ AGED 69 YEARS/ MARGARET RUSSELL/ WIDOW OF JOHN SHANKS/ WESTER JAW, SLAMANNAN/ DIED 16TH NOVR 1929/ AGED 80 YEARS. [on side panel]. [2].
- Head, cavetto. 100 x 71 x 14. Erected/ BY/ ROBERT MARTIN,/ IN MEMORY OF HIS WIFE/ JANE TAYLOR,/ DIED 12TH JANUARY 1876/ AND THEIR CHILDREN/ JANET,/ DIED 16TH MARCH 1856./ JESSIE,/ DIED 10TH FEBRUARY 1870./ MARY GALLOWAY MARTIN/ DIED 15TH NOVEMBER 1877/ THE ABOVE ROBERT MARTIN,/ DIED 13TH JULY 1890.
- Head, ogee & cavetto. 80 x 98 x 15. (1) 1806 [along top]. (2) IOHN HODGE/ CHRISTIAN GRAHAM. [6].
- Head, ogee & cavetto. (1) 1806 [along top]. (2) GEORGE HODGE/ And/ ANN SCOTT/ AND THEIR CHILDREN. [7].
- Head, low arch. 1827/ JOHN BOYD/ AND/ MARGARET MARSHALL/ / 2 lairs. [8].
- Head, ogee. 80 x 94 x 11. (1) 1825 [along top]. (2) WILLIAM MARSHELL/ and JEAN LOGIE. [9].
- Head, snake. 110 x 75 x 13. (a) 1743 [West side] (b) 1866/ WILLIAM ADAM/ AND/ RACHEL R. McKAY/ AND THEIR HEIRS. [10].
- Head, triangle with rounded corners. 100 x 56 x 13. Erected By/ JANE BAILLIE/ IN MEMORY OF HER HUSBAND/ THOMAS SHANKS OF FENCILHEAD/ WHO DIED 15TH FEB 1833/ AGED 38 YEARS./ JANE THEIR DAUGHTER/ DIED 28TH JUNE 1848/ AGED 16 YEARS/ ALSO THE ABOVE NAMED/ JANE BAILLIE,/ DIED 9TH JUNE 1885,/ AGED 79 YEARS. [11].
.


- Head, bi-lobed with central square. 60 x 56 x 13. RECEIPTED TO/ WILLIAM ANDERSON/ & CHRISTINE THOMPSON/ & THEIR CHILDREN. [12].
- Head, cavetto. 120 x 89 x 11. (1) 1848 [along top]. (2) ERECTED/ BY/ JOHN GARDNER/ AND/ MARGARET RONALDSON/ / HOLDS 2 LAIRS. [13].
- Head, triangle. 135 x 59 x 15. Erected By/ CHRISTINA HAILSTONES/ In Loving memory of/ Her Husband/ JOHN WEBSTER/ Died 18th Sepr 1905, Aged 79 Years./ / Also His Mother/ MARY LAING/ Died Aged Years./ Also His Father/ WILLIAM WEBSTER/ Died Aged Years.
- Head, triangle with rounded corners. 120 x 58 x 14. (1) ERECTED/ BY/ ROBERT WEBSTER/ AND/ MARGARET MUNRO/ IN MEMORY OF THEIR CHILDREN/ JANET TAYLOR/ DIED 1884 AGED 8 MONTHS/ MARGARET MUNRO/ DIED 1868 AGED 1 YEAR & 4 MONTHS/ MARGARET MUNRO/ DIED 1874, AGED 4 YEARS & 3 MONTHS/ JOHN WEBSTER,/ BORN ON THE 15TH OF OCTOBER 1877/ DIED ON THE 8TH OF JUNE 1878./ THEIR FATHER ROBERT WEBSTER,/ DIED AT CAMELON ON THE 10TH JANY 1895/ AGED 48 YEARS/ MARGARET MONRO WEBSTER/ DIED 17TH DEC.1888/ AGED 44./ A FEW SHORT YEARS OF TROUBLE HERE/ WE REACH THE HAPPY SHORE/ WHERE DEATH DIVIDED FRIENDS AT LAST/ SHALL MEET TO PART NO MORE. (2) J & J BAIRD/ FALKIRK [on plinth].
Section D:
- Head, pointed cross. 145 x 52 x 12. Erected By/ JAMES & MARGARET JARVIE/ In/ Loving Memory Of/ Their Only Son/ JOHN JARVIE/ Died 11th Feby 1911 Aged 24 Years/ The Above JAMES JARVIE/ Died 1st Octr 1911, Aged 54 Years/ The Above MARGARET JARVIE/ Died 24th Octr 1936 Aged 80 Years/ / Also His Mother JANE DOWNS,/ Died 25th July 1888 Aged 72 Years./ His Father JOHN JARVIE/ Died 14th APRIL 1903 In His 97th Year. [53].
- Head, 5-lobed. 60 x 104 x 13. ERECTED/ BY/ JAMES DOWNS,/ IN MEMORY OF HIS FATHER ALEXANDER DOWNS/ WHO DIED 1ST NOV 1886/ AND HIS MOTHER MARY PATON/ WHO DIED 23RD JULY 1887. [52].
- Head, square. 55 x 106 x 14. (1) 1809 [along top]. (2) The property of/ Robert Downs and/ Jean Grofset his Wife/ and Their Children/ 1809. [51].
- Head, pediment. 130 x 89 x 14. ERECTED/ BY/ JAMES WADDELL/ IN MEMORY OF HIS FATHER/ JOHN WADDELL/ WHO DIED 2ND FEBY 1818 AGED 77/ HIS BROTHER JOHN WHO DIED/ 10TH FEBY 1841 AGED 24./ ALSO/ JOHN WADDELL/ DIED 30TH MARCH 1929 AGED 84/ ALSO HIS WIFE/ JANE McFARLANE/ DIED 7TH FEBY 1938 AGED 86. [48].
- Head, square. 65 x 82 x 12. (1) To the Memory of/ David Abercromby &/ Christian Jeffray he di/ed 16 Feby 1823 & she 6 Nov/ 1851 the former aged 75 & the/ later 70 years. (2) DC AM CJ PC [on west side]. (3) 1820 [along top]. [49].
- Head, S-arch. 80 x 68 x 13. 1848/ JAMES DOWNS/ AND/ JANET LOCKART. [50].
- Pedestal. 120 x 20 x 22. ERECTED/ BY/ ANW .OSWALD/ IN MEMORY/ OF HIS BEL/OVED WIFE/ JAT. DOWNS/ WHO DIED/ JUNE 28TH 1882/ AGED 45 YEARS. [47].
- Head, square. 75 x 97 x 15. JM MJ 1797. [46].
- Head, pediment. 95 x 84 x 12. (1852 [in pediment]. (2) Erected by/ JOSEPH DOWNS/ AND/ LILIAS GILCHRIST/ JOHN DOWNS THEIR SON/ DIED 23RD OCTOBER, 1851./ AGED 42 YEARS/ WILLIAM CLARK,/ DIED AT SEAFIED 13TH JUNE 1887/ AGED 22 YEARS. [45].
- Celtic cross. 300 x 32 x 16. (1) IN LOVING MEMORY/ OF [on upper plinth]. (2) JOHN REID/ WHO DIED 2ND FEB 1899, IN HIS 76TH YEAR/ HIS WIFE/ JANET CRAIG/ WHO DIED 24TH FEB 1899 IN HER 66TH YEAR/ AND THEIR DAUGHTERS/ MARION THOM/ WHO DIED 9TH SEP.1862, AGED 9 MONTHS/ AND MARY JANE/ WHO DIED 25TH JAN 1884, AGED 9 YEARS. (3) ERECTED BY THE FAMILY [on lower plinth]. (4) THEIR GRANDSON/ JOHN REID BAXTER/ DIED 25TH MARCH 1960 [on side panel].
- Head, pediment. 165 x 68 x 23. SACRED/ TO THE MEMORY OF/ ROBERT MARSHALL/ OF BRIDGEND/ WHO DIED 30TH JUNE, 1858/ AGED 74 YEARS./ JEAN ARTHUR,/ HIS WIFE/ WHO DIED 21ST DECR 1870,/ AGED 82 YEARS./ MARION MARSHALL,/ THEIR DAUGHTER/ WHO DIED 4TH MARCH 1875./ JOHN MARSHALL/ THEIR SON,/ WHO DIED 6TH MAY 1878./ ANN MARSHALL,/ DIED 21ST JAN 1898 AGED 82 YEARS./ WIFE OF THOMAS STARK EASTER JAW.
After the removal of ivy in 2015 several additional gravestones were revealed in the vicinity of Nos. 217 and 218:
- Flat, 140 x 84. Here Lyes the corps/ of John Rufsel of/ that ILK alias Long/ridge who died the/ 29 of May 1751.
- Head, large cut corners. IN M—– –/ J— —-/ AGED 51 YEARS.
- Head, cavetto & ogee. 100 x 91 x 15. The Burying Place/ OF WILLIAM SHEILS/ AND/ MARY WAUGH HIS WIFE/ AND/ THEIR CHILDREN. [3].
- Head, triangular pediment. 130 x 98 x 16. Erected By/ DAVID SHANKS,/ IN MEMORY OF HIS FATHER, THOMAS SHANKS,/ DIED 13TH MAY 1885 AGED 77 YEARS./ ALSO HIS MOTHER/ MARY McLAREN,/ DIED 2ND SEPT 1866 AGED 78 YEARS. [This may have stood on the plinth 216]. [20].
- (1) ERECTED BY/ DANIEL THOMPSON/ AND/ ELIZABETH WAUGH/ IN MEMORY OF THEIR SON/ DANIEL THOMPSON/ WHO DIED 17TH DECR 1857/ AGED 2 YEARS AND 7 MONTHS/ DANIEL THOMPSON/ WHO DIED 18TH SEP 1901 AGED 42 YEARS/ ALSO HER SON HUGH/ WHO DIED 25TH APRIL 1914 AGED 29 YEARS.
- Head, cavetto & ogee. 80 x 73 x 8. ERECTED/ BY/ ANDREW JARDINE/ IN MEMORY OF/ BARBARA GRAHAM,/ HIS WIFE WHO DIED 23D JANUARY 1853/ AGED 24 YEARS. [4]
- Head, arched with lobes. 70 x 69 x 10. J.B. M.F. [winged soul, hour glasses and figures] [5].

Slamannan Churchyard North
Area D to the north of the church which post-dates 1860 was not included in the original survey due to lack of time. It has now been recorded, though work by Falkirk Council along its eastern boundary has disrupted the layout. The sequence of records runs from west to east with each N/S row being taken in turn (starting from the south in each case), and then the stones along the north boundary wall are given from west to east.
Row 1.
- Displaced stone leaning against west wall, triangular. ERECTED/ BY ROBERT BINNIE./ IN MEMORY OF HIS SON/ ANDREW,/ DIED 8TH NOVR 1878./ ALSO/ HIS FATHER/ ROBERT BINNIE,/ DIED 6TH JULY 1879./ ALSO OF ELIZABETH HUNTER/ BELOVED WIFE OF/ ROBERT BINNIE/ WHO DIED AT ALBION COTTAGE.AVONBRIDGE/ 21ST JANY 1913 AGED 74 YEARS:/ ALSO OF THE ABOVE/ ROBERT BINNIE/ WHO DIED AT ALBION COTTAGE/ AVONBRIDGE/ 9TH JULY 1919 AGED 82 YEARS.
- Triangular pediment with ash cask……… (1) ERECTED/ BY RICHARD GIBB’S/ FAMILY (on pediment) (2) IN MEMORY OF/ MARGARET SIMPSON./ WHO DIED 12TH FEB 1878/ AGED 54 YEARS/ ELLEN GIBB/ WHO DIED 12TH FEBY 1879/ AGED 17 YEARS/ RICHARD GIBB. WHO DIED 21ST JANUARY 1881/ AGED 61 YEARS. (3) COME LORD FROM THE SKIES AND —– TO RISE/ READY MADE FOR THE MAN/ WITH OUR HEAD TO ASCEND AND—- SPEND/ —IN A RAPTURE OF HEAVENLY LOVE. [on plinth] (4) TRAYNOR/ AIRDRIE [on base]

- Triangular, pink granite. ERECTED BY/ WILLIAM & JANET SHANKS/ IN MEMORY OF THEIR SONS/ JOHN SHANKS,/ WHO DIED 31ST JAN 1905 AGED 20 YEARS./ ALSO JOHN, WHO DIED IN INFANCY./ ALSO THEIR GRAND DAUGHTER/ ISABELLA HOWE HOGG,/ AGED 11 MONTHS
- Arched, fallen face down.
Row 2.
- Arched hood, fallen. ERECTED/ BY/ SOLOMON COWAN/ & SARAH HAMILTON/ IN MEMORY OF THEIR SON/ SOLOMON COWAN/ WHO DIED 15TH MARCH 1877/ AGED 23 YEARS/ THE ABOVE SARAH HAMILTON/ DIED 25TH NOVEMBER 1886 AGED 60 YEARS/ THE ABOVE SOLOMON COWAN,/ WHO DIED 16TH MAY 1898 AGED 71 YEARS.
- Stepped pedestal with veiled urn on top, grey granite. (1) In Memory of/ DAVID GRAHAM/ DIED 20TH SEP. 1891 AGED 66/ HIS WIFE/ MARY MELVIN/ DIED 8TH DEC 1910 AGED 74./ THEIR CHILDREN/ GEORGE/ DIED 14TH APRIL 1882, AGED 24./ ANNIE/ DIED 23RD FEB. 1883, AGED 3./ JOHN/ DIED 26TH MARCH 1884, AGED 9. (2) ERECTED BY THE FAMILY [on plinth]
Row 3.
- Stepped bi-lobed with central triangle. ERECTED BY/ JOHN WATT/ IN LOVING MEMORY OF HIS WIFE/ ANN JAMIESON/ DIED 20TH OCT. 18[8]2 AGED 52 YEARS/ ALSO THEIR SON JAMES/ DIED 17TH APRIL 1883, AGED 10 [?] YEARS/ THE ABOVE JOHN WATT/ DIED 6TH APRIL 1886, AGED 80 YEARS.
- Stepped bi-lobed. ERECTED BY/ JOHN KELSO.
Row 4.
- Ogee & cavetto with flat centre. 1883/ ERECTED BY/ JOHN AULD & MARY SMITH/ IN MEMORY OF THEIR CHILDREN/ MARY/ DIED 23RD MARCH 1875, AGED 5½ MONTHS/ JAMES/ DIED 31ST MAY 1882 AGED 3 MONTHS/ JEANIE SMITH AULD,/ DIED 8TH JULY 1894, AGED 8½ YEARS./ ALSO THE ABOVE MARY SMITH/ DIED 4TH JANY 1912, AGED 68 YEARS./ ALSO THE ABOVE JOHN AULD/ DIED 2ND FEBY 1925, AGED 82YEARS./ ALSO PETER AULD, ELDEST SON OF THE ABOVE/ DIED 5TH MARCH 1932, AGED 65 YEARS.
- Square, fallen face down.
- S-arch, grey granite. ERECTED/ BY/ WILLIAM FERGUSON/IN MEMORY OF HIS FATHER/ JOHN FERGUSON, OF LIMERIGG/ 1841-1886/ ALSO HIS MOTHER/ MARION NELSON. 1846-1921/ ALSO HIS WIFE/ AGNES ROBERTSON/ 1875-1898./ / TILL HE COME.
- Square, grey granite, fallen. (2) SOMERVILLE [on plinth] (1) Erected By/ MARTHA CRAIG/ IN LOVING MEMORY OF HER HUSBAND/ THOMAS SOMERVILLE/ DIED 7TH AUG 1903 AGED 78 YEARS/ ALSO THE ABOVE/ MARTHA CRAIG,/ WHO DIED 15TH APRIL 1912/ AGED 87 YEARS.
- Triangular, fallen west face down.
- Central arch, fallen face down.
Row 5.
- Triangular, fallen face down.
- Triangular pediment. ERECTED BY/ MARY SMELLIE/ IN LOVING MEMORY OF/ HER HUSBAND/ JOHN EASTON,/ DIED 28TH DEC. 1890, AGED 47 YEARS./ ALSO THEIR SON/ JAMES,/ DIED 16TH JUNE 1876, AGED 16 MONTHS/ ALSO THE ABOVE/ MARY SMELLIE,/ DIED 12TH FEBY 1909, AGED 65 YEARS. [West face]
- Triangular, grey granite. (1) F/ ERECTED BY/ AGNES ROBERTSON,/ IN LOVING MEMORY OF HER HUSBAND/ THOMAS FOWLER,/ DIED 2ND JANY 1923, AGED 79 YEARS/ THE ABOVE/ AGNES ROBERTSON/ DIED 1ST JULY 1929, AGED 81 YEARS/ ALSO THEIR SONS/ JOHN/ DIED 19TH MARCH 1964, AGED 76/ TOM,/ DIED 26TH DEC. 1964, AGED 87/ ALSO MARY CAIRNS,/ BELOVED WIFE OF TOM/ DIED 13TH SEPT 1972 AGED 72. (2) S DUNDAS/ ABERDEEN [on plinth]
- Dutch arch with crown, fallen. Erected by/ JAMES IVORY/ IN LOVING MEMORY OF/ MARGARET MARSHALL/ DIED AT STANDBURN, AVONBRIDGE/ 21ST NOVR 1900 AGED 58 YEARS/ ALSO THE ABOVE/ JAMES IVORY/ DIED AT PLEAN 7TH SEP 1906/ AGED 66 YEARS.
- Low triangle with round corners. 1872/ ERECTED BY/ GEORGE FORSYTH.
Row 6
- Grey granite with side columns, fallen west face down.
- Low triangle with round corners. ERECTED BY/ ROBERT CUPPLES/ AND/ CATHERINE FORRESTER./ IN MEMORY OF THEIR BELOVED SON./ ALEXANDER,/ WHO DIED AUGUST 29TH 1870,/ AGED 29 YEARS./ THE ABOVE ROBERT CUPPLES/ DIED 4TH FEBR 1899, AGED 87 YEARS./ THE ABOVE CATHERINE FORRESTER,/ DIED 30TH NOVR 1904 AGED 82 YEARS./ THEIR SON THOMAS,/ DIED 15TH NOVR 1946 AGED 79 YEARS/ HIS WIFE CHRISTINA HORNE/ DIED 7TH MARCH 1947 AGED 68 YEARS/ INTERRED AT NEW MONKLAND.
- Triangular, grey granite. ERECTED BY/ WILLIAM FLEMING & AGNES DICK/ IN MEMORY OF THEIR SON/ WILLIAM./ WHO DIED 11TH OCT. 1891, AGED 23 YEARS./ ALSO THEIR DAUGHTER/ MARY/ WHO DIED 31ST JULY 1896, AGED 26 YEARS./ THE ABOVE AGNES DICK,/ WHO DIED 15TH AUG. 1912, AGED 67 YEARS/ THE ABOVE WILLIAM FLEMING/ WHO DIED 24TH DEC 1923 AGED 84 YEARS/ HIS GRANDSON JAMES FLEMING/ WHO DIED 17TH FEBY 1907 AGED 15 MONTHS/ THEIR SON HUGH DICK FLEMING/ WHO DIED 11TH AUG. 1968 AGED 93 YEARS.
- Central arch, fallen face down.
- Square, fallen. (1) ERECTED BY/ MATILDA BROUGHTON/ IN MEMORY OF HER BELOVED HUSBAND/ THOMAS LITTLE/ DIED 10TH AUG 1893, AGED 64 YEARS./ SARAH THEIR DAUGHTER/ DIED 6TH SEP 1866, AGED 20 MONTHS./ HENRY THEIR SON/ DIED 3RD APRIL 1874, AGED 20 YEARS. (2) “NOT DEAD, BUT GONE BEFORE” [ON PLINTH] (3) W. ROBERTS & SON/ FALKIRK [on base]
- Arched, fallen face down.
Row 7
- Triangular, grey granite. (1) G/ ERECTED BY/ ALISON HAILSTONES,/ IN LOVING MEMORY OF/ HER HUSBAND/ JAMES GARDNER,/ DIED 2ND APRIL 1906, AGED 55 YEARS./ THEIR CHILDREN/ JAMES AND ALISON,/ WHO DIED IN INFANCY./ THE ABOVE/ ALISON HAILSTONES,/ DIED 10TH MAY 1943, AGED 73 YEARS./ THEIR SON ROBERT,/ DIED 12TH OCTR 1968, AGED 68 YEARS/ BELOVED HUSBAND OF/ MARION MCCALLUM./ AND THE ABOVE/ MARIN MCCALLUM,/ DIED 17TH MAY 1988, AGED 82 YEARS. [west face] (2) DOUGLAS [on plinth]
- Triangular pediment. (1) IN LOVING MEMORY OF/ WILLIAM HAILSTONES/ BORN 29TH JUNE 1803, DIED 9TH MARCH 1876 [on pediment] (2) HIS WIFE/ ALISON WILSON AGED 80 YEARS/ WILLIAM HAILSTONES/ AND MARGARET FRASER’S CHILDREN/ WILLIAM HAILSTONES/ BORN 24TH NOV 1854, DIED 21ST JUNE 1869./ AILSON WILSON HAILSTONES/ BORN 3RD NOV 1858, DIED 10TH JUNE 1870./ ROBERT HAILSTONES/ BORN 20TH AUGUST 1865, DIED 26TH AUGUST 1869/ CHRISTINA HAILSTONES/ BORN 25TH APRIL 1867, DIED 19TH APRIL 1869 [west face] (3) Blessed are the dead who die in the Lord [on plinth].
- Arched pediment. Erected/ by/ ELIZABETH WILSON/ IN MEMORY OF HER HUSBAND/ WILLIAM QUIN/ WHO DIED 7TH JAN. 1911, AGED 74 YEARS/ ALSO THEIR CHILDREN,/ ELIZABETH,/ DIED AUG. 1872, AGED 3./ ELIZABETH,/ DIED NOV. 1885, AGED 3./ WILLIAM,/ DIED 5TH OCT. 1906, AGED 43 YEARS./ THE ABOVE/ ELIZABETH WILSON/ DIED 6TH JAN. 1921 AGED 82 YEARS./ THEIR SON JOHN/ DIED 23RD DECR 1928, AGED 58 YEARS.
- Triangular. ERECTED BY/ HELEN RAE./ IN MEMORY OF HER HUSBAND/ DAVID LAING,/ BORN 13TH MAY 1814,/ DIED 28TH DECEMBER 1871,/ THE ABOVE HELEN RAE/ WHO DIED AT CORNFIELD 23RD MARCH 1888/ AGED 73./ ALSO THEIR SON JAMES LAING/ BELOVED HUSBAND OF HANNAH SCOTT/ WHO DIED AT EAST FIELD 13TH APRIL 1892/ AGED 53./ ALSO THE ABOVE/ HANNAH SCOTT/ WHO ALSO DIED AT EASTFIELD/ 30TH DEC. 1900, AGED 68 YEARS./ ALSO THEIR SON/ ALEXANDER SCOTT LAING/ WHO DIED 28TH MAY 1939, AGED 68 YEARS/ AND HIS WIFE/ MARY WINNING/ WHO DIED 21ST JULY 1947 AGED 73 YEARS.
- Scroll. Limestone. IN MEMORY OF/ SARAH SCOTT —-/ DEARLY — —/ JOHN ROSS —
- Low triangle with round corners, fallen face down.
- Gothic arch, grey granite, fallen. (1) ERECTED BY/ JANET YOUNG/ IN MEMORY OF/ HER HUSBAND/ ROBERT HAMILTON/ DIED 14TH MARCH 1897,/ AGED 54 YEARS./ ALSO TWO CHILDREN DIED IN INFANCY/ AGNES MEEK HER MOTHER/ DIED 13TH APRIL 1891 AGED 75 YEARS./ ALSO/ HER DAUGHTER/ JANET/ DIED 2ND APRIL 1909 AGED 39 YEARS./ ALSO THE ABOVE/ JANET YOUNG/ WHO DIED 15TH SEPTEMBER 1925/ AGED 79 YEARS/ THEIR YOUNGEST DAUGHTER ELIZABETH/ DIED 19TH OCT 1942 IN HER 61ST YEAR/ ALSO THEIR DAUGHTER ANN/ DIED 14TH JAN 1943 AGED 63 YEARS/ WIDOW OF JAMES A MURPHY. (2) “IT WILL BE BRIGHTER IN THE MORNING.” [on plinth]
- Pyramid. (1) IN LOVING MEMORY OF/ JOHN MILLAR/ BELOVED HUSBAND OF/ ISABELLA LAING/ WHO DIED AT CORNFIELD/ 20TH MARCH 1894/ AGED 53 YEARS/ THE ABOVE/ ISABELLA LAING/ DIED 3RD JAN 1921 AGED 78 YEARS/ ALSO THEIR GRAND-DAUGHTER/ ISABELLA MILLAR/ DIED 3RD MARCH 1924 AGED 18 YEARS. (2) “BLESSED ARE THE DEAD/ WHO DIE IN THE LORD.” [on plinth]
- Triangle with finial. Erected/ BY/ JAMES IRVINE & MARY LYONS/ HIS WIFE [on pediment] (2) IN MEMORY OF THEIR CHILDREN/ MARY WHO DIED 10TH JANY 1867/ AGED 8 MONTHS./ WILLIAM WHO DIED 8TH JULY 1874/ AGED 3 YEARS./ JOHN WHO DIED 11TH OCT. 1885/ AGED 17 YEARS./ THE ABOVE JAMES IRVINE/ DIED 5TH JUNE 1889 AGED 57 YEARS./ THE ABOVE MARY LYONS/ DIED 31ST MARCH 1917 AGED 94 YEARS.[west face] (2) BLESSED ARE THE DEAD THAT DIE IN THE LORD [on plinth] (3) TRAYNOR/ AIRDRIE [on base]
- Column, grey granite. Erected/ By/ JOHN MCCREARY/ In Memory Of His Father/ THOMAS MCCREARY/ Died 6th March 1877,/ Aged 66 Years./ His Mother/ HANNAH CLARK BIGHAM/ Died 15th Novr 1890,/ Aged 72 Years. [west face].
Row 8
- Low arch, fallen. ERECTED/ TO THE MEMORY OF/ JAMES GILCHRIST,/ WHO DIED 24TH AUGUST 1878:/ AGED 55 YEARS./ JANE,/ HIS DAUGHTER DIED 8TH AUGUST 1881/ AGED 28 YEARS./ JANE GARDNER, WIFE OF THE ABOVE,/ DIED 10TH FEBRY 1907; AGED 84 YEARS/ AGNES WILSON, GRAND-DAUGHTER/ OF THE ABOVE, DIED 19TH JULY 1879;/ AGED 6 MONTHS.
- Triangular. (1) ERECTED BY/ GEORGE NISBET, FARMER, LOANRIG./ IN LOVING MEMORY OF HIS WIFE,/ MARY STEWART,/ DIED 2ND DEC. 1891, AGED 63 YEARS./ ALSO HUGH HIS SON,/ DIED 31ST OCTOBER 1869, AGED 6 YEARS./ THE ABOVE GEORGE NISBET,/ DIED AT EASTER INCH, BATHGATE/ 27TH MAY 1897, IN HIS 73RD YEAR./ JEANIE/ DIED AT LAWFIELD DALKEITH,/ 10TH JAN. 1911, AGED 42 YEARS./ MARION/ DIED 26TH MARCH 1934, AGED 73 YEARS. [west face] (2) A LOVING FRIEND, A WIFE MOST DEAR./ A TENDER MOTHER LIETH HERE./ GREAT IS THE LOSS THAT WE SUSTAIN,/ BUT HOPE TO MEET IN HEAVEN AGAIN. [on plinth] (3) R. FRASER/ CATHCART [on base]
- Square slightly rounded. 18 71/ ERECTED BY/ ALEXANDER WADDELL/ AND/ ELIZABETH ARTHUR,/ IN MEMORY OF THEIR SON/ ARCHIBALD/ WHO DIED 12TH AUGUST 1869 AGED 21 YEARS./ AGNES WADDELL,/ DIED 2ND DECR 1872 AGED 22 YEARS./ ALEXANDER WADDELL,/ DIED 30TH AUGUST 1878 AGED 67 YEARS./ ELIZABETH ARTHUR,/ DIED 17TH APRIL 1886 AGED 77 YEARS./ JOHN WADDELL,/ DIED 5TH SEPT 1922, AGED 85 YEARS./ MARGARET GILCHRIST HIS WIFE,/ DIED 25TH FEB. 1917/ WILLIAM ARTHUR GRANDSON,/ DIED 4TH DEC. 1909, AGED 4 MONTHS/ ALEXANDER PATERSON/ DIED 19TH OCT. 1942 AGED 40 YEARS./ JESSIE WADDELL OR PATERSON/ DIED 14TH NOV. 1959.
- Triangular, fallen. WILLIAM MORE AND JANE HODGE/ IN MEMORY OF THEIR CHILDREN/ JANET/ DIED 8TH NOVR 1860 AGED 13 MONTHS/ JANE/ DIED 25TH APRIL 1871 AGED 5 MONTHS/ JANET/ DIED 15TH AUGUST 1872 AGED 6 YEARS/ AGNES,/ DIED 6TH FEBY 1874 AGED 1 YEAR & 6 MONTHS/ ELIZABETH,/ DIED 28TH AUGUST 1875 AGED 1 YEAR & 6 MONTHS/ ROBERT,/ DIED 21ST JANY 1884 AGED 1 YEAR./ JAMES,/ DIED 20TH NOVR 1885 AGED 5 YEARS & 6 MONTHS/ THE ABOVE JANET HODGE/ DIED 21 NOV 1902 AGED 61 YEARS/ THE ABOVE WILLIAM MORE/ WHO DIED AT COATBRIDGE/ 5TH MARCH 1914 AGED 73 YEARS.
- Central triangle, grey granite. (1) ERECTED BY ANNIE ARCHIBALD/ In/ Loving Memory Of/ Her Husband/ WILLIAM JACK/ Died 18TH APRIL 1907, AGED 61 YEARS/ Also Their Children/ ROBERT,/ DIED 20TH MARCH 1881, AGED 11½ YEARS/ JANET,/ DIED 19TH FEBY 1891 AGED 23 YEARS/ ELIZABETH & GEORGE,/ WHO DIED IN CHILDHOOD./ Also the above/ ANNIE ARCHIBALD/ DIED 29TH SEPT 1924 AGED 77 YEARS. (2) JACK [on plinth]
- Central arch. ERECTED BY/ MICHAEL SCOTT,/ IN MEMORY OF HIS FATHER/ ALEXANDER SCOTT,/ WHO DIED 11TH NOVEMBER 187-/ AGED 50 YEARS./ ALSO HIS MOTHER/ BETHIA CAMPBELL/ DIED 16TH DEC. 1904, AGED 75 YEARS.
- Triangle with rounded corners. ERECTED BY/ ALEXR MCLUCKIE/ IN MEMORY OF HIS BELOVED WIFE/ MARGARET B. LAING,/ WHO DIED 1—OCTOBER 1888, AGED 38 YEARS/ THE ABOVE/ ALEXR MCLUCKIE/ —- —-CH 1924 AGED —.
- Pyramid, fallen face down.
- Fallen & removed.
- Open book, limestone. Illegible.
Row 9
- Cavetto & ogee with central finial, crown. In Loving Memory/ Of/ WILLIAM POW,/ BELOVED HUSBAND OF/ MARION BAIRD,/ WHO DIED 3RD OCT. 1900,/ AGED 55 YEARS.
- Arched, fallen. ERECTED/ BY/ ROBERT MCDONALD/ AND ISABELLA COWAN/ IN MEMORY OF THEIR DAUGHTER/ AGNES/ WHO DIED 7TH APRIL 1866,/ AGED 2 YEARS AND 8 MONTHS./ THOMAS AITKEN/ WHO DIED 4TH FEBY 1889,/ AGED 77 YEARS./ ROBERT MCDONALD OUR SON/ WHO DIED 30TH AUGUST 1892/ AGED 18 YEARS/ THE ABOVE ROBERT MCDONALD/ WHO DIED 6TH JAN, 1900/ AGED 61 YEARS./ ALSO THE ABOVE/ ISABELLA COWAN/ WHO DIED 28TH FEBY 1916 AGED 78 YEARS.
- Rustic wood, limestone. JOHN & GRAHAM WATSON/ TO THE MEMORY OF/ THEIR CHILDREN/ JOHN REID WATSON/ DIED 10TH JUNE 1922 AGED —/ ALEXANDER YOUNG WATSON/ DIED 28TH OCTOBER 1924 AGED 1 YEAR 7 – MONTHS.
- Triangular pediment. (1) ERECTED/ BY/ WILLIAM BEVERIDGE [on pediment] (2) IN MEMORY OF/ HIS BELOVED WIFE./ JANET BROWN./ DIED 28TH APRIL 1875,/ “DEEPLY REGRETTED.” HOW SOLEMN AND HOW SAD TO STAND/ BESIDE THE GRAVE OF THEM WE LOVE/ WE SHED NO TEAR, THO’ HERE HER GLAV/ HER SOUL IS WITH THE SAINTS ABOVE./ WILLIAM BEVERIDGE/ DIED 7TH AUGUST 1885. (2) W, MCHUTCHISON,/ AIRDRIE. [on side of plinth]
- Rusticated low arch, white granite with lead lettering. ERECTED BY/ JOHN R. WATSON,/ IN LOVING MEMORY OF/ HIS BELOVED WIFE/ GRAHAM YOUNG,/ DIED 31ST DEC. 1955,/ AGED 74 YEARS./ THEIR SONS/ JOHN/ DIED 10TH JUNE 1922./ AGED 2½ YEARS./ ALEX,/ DIED 29TH OCT. 1922,/ AGED 14 MONTHS./ THE ABOVE/ JOHN R. WATSON,/ DIED 17TH SEP. 1963./ AGED 89 YEARS. [west face]
- Central arch, fallen & broken with lower section face down. ERECTED BY/ MRS —-SON/ —- — / of HER—–
- Pale grey granite with lead lettering, fallen. B/ In/ MEMORY OF/ OUR DEAR FATHER/ JAMES BRADIE,/ DIED 31ST MAY 1904/ AGED 53 YEARS./ OUR DEAR MOTHER/ MARY RANKINE,/ DIED 19TH FEB. 1921/ AGED 67 YEARS./ ALSO/ OUR DEAR BROTHERS/ WILLIAM,/ DIED 6TH JUNE 1906/ AGED 10½ YEARS./ AND/ ALEXANDER,/ DIED 31ST AUG. 1951/ AGED 63 YEARS.
- ERECTED BY/ MRS RUSHFORD IN MEMORY/ OF HER CHILDREN./ JAMES RUSHFORD DIED 27TH JUNE 1873/ AGED 19 YEARS./ ROBERT DIED 14TH JULY 1873,/ AGED 16 MONTHS./ ALSO JOHN RUSHFORD, HER HUSBAND,/ DIED 28TH JULY 1880, AGED 57 YEARS./ ALSO JAMES ARCHIBALD/ DIED 9TH JUNE 1884 AGED 3½ YEARS./ ALSO JAMES ARCHIBALD/ KILLED 28TH MAY 1918 AGED 28 YEARS/ INTERRED IN VANCOUVER, B.C./ SONS OF/ JOHN ARCHIBALD & MARGARET RUSHFORD/ THE ABOVE JOHN ARCHIBALD/ DIED 10TH JULY 1933 AGED 86 YEARS/ THE ABOVE MARGARET RUSHFORD/ DIED 4TH DECR 1933 AGED 84 YEARS. [west face]
- Fallen face down.
- Column, black granite. (1) In Loving Memory/ Of/ JAMES TAYLOR/ Who Died at/ South Holehouse, Avonbridge/ 3rd Jan. 1908, Aged 85 Years./ His Wife/ ELIZABETH TAYLOR/ Died 19th Sep. 1893, Aged 65 Years/ Also Of Their Children/ HENRY/ Died Oct. 1866, Aged 14 Years/ AGNES/ Died Oct. 1866 Aged 6 Years/ MARION/ Died Nov. 1866 Aged 17 Years/ THOMAS/ Died June 1874 Aged 7¾ Years (2) Also/ His/ Brother/ WILLIAM TAYLOR/ Who Died at/ Holehouse Farm Avonbridge/ 16th Nov. 1915, Aged 58 Years/ Also/ JAMES TAYLOR/ Beloved Husband of/ MARGARET YEARDLY/ Died 8th June 1928, Aged 75 Years/ The Above/ MARGARET YEARDLY/ Died At Dundee/ 24th Oct 1941/ Aged 69 Years 10 Mths. (3) TAYLOR [on plinth]
East Wall.
- Arched pediment, fallen & displaced. Erected/ BY/ WILLIAM GILCHRIST/ AND/ ELIZABETH MUNGALL,/ IN MEMORY OF THEIR CHILDREN,/ MARGARET/ WHO DIED 11TH DECEMBER 1873,/ AGED 1 YEAR & 7 MONTHS/ ALEXANDER/ WHO DIED 13TH DECEMBER 1873,/ AGED 13 YEARS & 5 MONTHS./ THE ABOVE/ WILLIAM GILCHRIST,/ DIED AT SOUTH HERBERTSHIRE, DENNY/ 26TH MAY 1907, AGED 78 YEARS./ AND HIS WIFE/ ELIZABETH MUNGALL/ WHO DIED 14TH JULY 1918,/ AGED 82 YEARS./ / JAMES/ WHO DIED 8TH DECR 1881,/ AGED 12 YEARS & 10 MONTHS.
- Pedestal surmounted by draped urn. (1) Erected/ By/ WILLIAM ROY, ESQ/ IN LOVING MEMORY OF/ HIS DEAD DAUGHTER,/ LIZ,/ WHO DIED 1ST NOVEMBER 1887/ AGED 18½ YEARS./ ALSO/ NAN,/ WHO DIED 8TH NOVEMBER 1892/ AGED 16 YEARS & 3 MONTHS./ ALSO OF HIS DEAR WIFE/ EUPHEMIA BURNS,/ WHO DIED 9TH APRIL 1895/ AGED 55 YEARS/ THE ABOVE/ WILLIAM ROY/ WHO DIED 12TH JANY 1917/ AGED 79 YEARS./ THEIR DAUGHTER JEANIE/ WHO DIED 30TH APRIL 1923/ AGED 39 YEARS [WEST FACE]. (2) TAKE COMFORT CHRISTIANS / FRIENDS IN JESUS STLL SLEEP [WEST PLINTH] (3) SACRED/ TO THE MEMORY OF MY/ FATHER, MOTHER AND SISTER./ HENRY ROY./ DIED 11TH JULY 1877./ ELIZABETH WRIGHT,/ DIED 12TH JANUARY 1886./ AGNES ROY,/ DIED 19TH FEBRUARY 1883. (4) A FEW SHORT YEARS OF EVIL PAST/ WE REACH THE HAPPY SHORE/ WHERE DEATH DIVIDED FRIENDS AT LAST/ SHALL MEET TO PART NO MORE. [south plinth]
- Pointed triangle, fallen & displaced. ERECTED/ BY/ JOHN MURRAY/ AND AGNES MCKILLOP/ IN MEMORY OF THEIR SON/ JOHN DIED 27TH FEBY 1877/ AGED 4 YEARS & – MONTHS/ JAMES DIED — — 1885/ AGED 17 YEARS/ JOHN, DIED 24TH OCT 1918,/ –ED 28 —- —- —/ — — —/ — — —/ THEIR SON/ ARCHIBALD/ DIED 25TH DEC. 19–/ AGED 60 YEARS.
- Arched, grey granite, fallen & displaced. Erected by/ JOHN JOHNSTON/ IN MEMORY OF HIS WIFE/ MARGARET SHANKS/ DIED 20TH JUNE 1901 AGED 55 YEARS./ ALSO THEIR FAMILY/ MARGARET/ DIED 1ST AUG. 1876, AGED 3 MONTHS/ MAGGIE S./ DIED 30TH SEP 1882, AGED 6 MONTHS./ PETER ALLAN./ DIED 30TH AUG. 1892, AGED 10 MONTHS./ THE ABOVE/ JOHN JOHNSTONE/ DIED 26TH MAY 1922 IN HIS 77TH YEAR.
- Fallen. ERECTED BY/ A. H. SIMPSON/ TO THE MEMORY OF HIS BROTHER/ JOHN,/ WHO DIED 4TH MAY1876/ AGED 37 YEARS.
- Rusticated wood, limestone, fallen. TO/ THE MEMORY OF/ ALEX. WATT,/ DIED 6TH NOV 1918 AGED 74/ HIS WIFE MARY WALKER/ DIED 31 MAY 1913 AGED 70/ THEIR SON ROBERT/ ACCIDENTALLY KILLED/ 26TH SEP 1883 AGED 13¼./ / / ERECTED BY THEIR FAMILY.
- Square, fallen. ERECTED BY/ ROBERT LOVE/ IN MEMORY OF HIS BELOVED WIFE/ MARY B. GRAY/ DIED 26TH JAN, 1892, AGED 39 YEARS./ AND OF THEIR CHILDREN./ ALSO THEIR SON/ PRIVATE GEORGE LOVE,/ KILLED IN FRANCE 20TH JULY 1916,/ AGED 27 YEARS/ THE ABOVE/ ROBERT LOVE/ DIED 7TH OCT. 1924, AGED 72 YEARS.
- Arched, fallen. ERECTED BY/ DAVID SHAW/ IN MEMORY OF HIS DAUGHTER/ MARY/ DIED 11TH OCT. 1880, AGED 16 YEARS/ ALSO HIS WIFE/ MARY JENKINS,/ DIED 17TH APRIL 1892 AGED 81 YEARS./ THE ABOVE/ DAVID SHAW/ DIED 13TH JAN, 1893 AGED 68 YEARS./ ALSO HIS SON/ MARTIN,/ DIED 7TH OCT. 1893, AGED 24 YEARS.
North Wall
- Arched pediment. Erected/ JAMES PATON,/ IN MEMORY OF/ WILLIAM PATON, HIS FATHER,/ WHO DIED 15TH JUNE 1866./ AGED 67 YEARS./ HIS MOTHER/ MARY DOBBIE 18-0-1863/ THE ABOVE/ JAMES PATON 18-8-18-4/ HIS WIFE /JANET SOMERVILLE 18 –18-6/ — —/ JANET PATON 1876-1—/ WILLIAM — —/ MARY — —/ MARTHA 1878-1883.
- Ogee with central arch, grey granite. (1) IN LOVING MEMORY. OF/ ANDREW JAMIESON/ WHO DIED AT GLENELERIGH/ ON 25TH JULY 1891 AGED 49 YEARS/ ALSO OF HIS BELOVED WIFE/ JANET DICKSON/ WHO DIED AT EASTER SHIELDHILL/ ON 28TH DECEMBER 1908 AGED 64 YEARS/ ALSO OF THEIR SON/ ANDREW JAMIESON/ WHO DIED AT EASTER SHILDHILL/ ON 23RD APRIL 1904 AGED 20 YEARS/ / / ERECTED BY THE FAMILY. (2) JAMIESON [on plinth].
- Stepped low arch, grey granite with lead lettering. IN/ LOVING MEMORY OF/ DR. JAMES G. NASH/ WHO DIED 23RD MARCH 1891/ AGED 48 YEARS/ HIS WIFE/ ELIZABETH R. NASH/ WHO DIED 30TH OCT 1903/ AGED 46 YEARS/ AND THEIR DAUGHTERS/ ELIZABETH/ WHO DIED 18TH JAN. 1955/ AGED 64 YEARS./ AND/ JESSIE TORRANCE NASH/ WHO DIED 2ND JAN. 1961/ AGED 75 YEARS.
- Cavetto with central arch. SACRED TO THE MEMORY/OF/ ALEXANDER BURT/ WHO DIED 17TH AUG: 1879, AGED 52/ FARQUHAR WILSON BURT/ WHO — HER ——– —-/ DIED 1ST AUG– —, AGED 96/ AND OF — — — / — — —
- Pointed arch. ERECTED BY/ JOHN GARDNER/ IN MEMORY OF HIS MOTHER/ ANN GAFF/ DIED 13TH DEC. 1893, AGED 72 YEARS./ AND ALSO ANN GARDNER HIS DAUGHTER/ DIED 25TH NOV. 1880, AGED 6½ YEARS./ ALSO THE ABOVE JOHN GARDNER/ BELOVED HUSBAND OF ANN BAIRD/ DIED 11TH JUNE 1928, IN HIS 80TH YEAR/ ALSO THE ABOVE ANN BAIRD/ DIED 14TH JUNE 1931 AGED 78 YEARS.
- Celtic cross, broken. (1) ARC—/ —AND ANNE —-/ IN MEMORY O-/ [on shaft] (2) WILLIAM HAMILTON/ DIED 29TH NOV 1870 AGED 4 YEARS/ ALSO THEIR CHILDREN/ JANE HAMILTON/ DIED 24TH APRIL 1882 AGED 21 MONTHS/ JOHN HAMILTON/ DIED 27TH APRIL 1886, AGED 9 MONTHS,/ HELEN N. HAMILTON/ DIED 1ST FEB. 1893, AGED 2 YEARS/ THOMAS HAMILTON/ DIED 24TH FEB. 1895, AGED 10 MONTHS. (3) ARCHIBALD HAMILTON/ DIED 22ND SEPT 1928 AGED 70 YEARS. [on plinth].
- Central triangle, grey granite. (1) In/ Loving Memory/ of/ WILLIAM DAVIDSON/ WHO DIED 8TH FEB. 1880/ AGED 49./ ALSO HIS WIFE/ AGNES SNEDDON/ WHO DIED 2ND JUNE 1902/ AGED 69./ AND THEIR SON/ DAVID/ DIED 25TH MAY 1947/ AGED 84. (2) “ASLEEP IN JESUS.” [on plinth].
- Pediment only remains.
- Triangle with turrets. (1) Erected/ TO THE MEMORY OF [on pediment] (2) ALEXANDER HARVIE/ —–MANAN/ WHO DEPARTED THIS LIFE/ — JULY — AGED — YEARS/ BELOVED –NE THE — —/ DIED IN THE LORD. (3) TRAYNOR. AIRDRIE [on plnth].
- Arched, fallen. ERECTED BY/ ANN CAMPBELL/ IN MEMORY OF/ HER LOVED HUSBAND/ ALEXANDER CUPPLES/ DIED 4TH JAN 1890 AGED 58 YEARS/ ALSO THEIR SON/ ROBERT CUPPLES/ DIED 16TH MAY 18—AGED 21 YEARS.
- Ogee with flat top, pink granite. Erected by/ HELEN STRANG NASH/ IN MEMORY OF HER HUSBAND/ JAMES M. WATSON/ DIED 4TH DECR 1898 AGED 65 YEARS/ ALSO THEIR CHILDREN/ SARAH,/ DIED 19TH JUNE 1889, AGED 21 YEARS/ ELIZABETH,/ DIED 31ST DECR 1881, AGED 13 MONTHS/ ALFRED,/ DIED 19TH JUNE 1882 AGED 6 MONTHS/ ADELAIDE,/ DIED 9TH MAY 1886, AGED 3 MONTHS./ ALSO THE ABOVE/ HELEN STRANG NASH/ DIED 9TH MARCH 1923, AGED 81 YEARS.
- Central arch, white granite. ERECTED BY JOHN & MARY ROBB/ In/ Loving Memory of/ THEIR SON/ ALEXANDER ROBB/ WHO DIED 22ND DECR 1912/ AGED 21 YEARS./ ALSO THEIR TWO INFANT CHILDREN./ ALSO THEIR SON/ JOSEPH ROBB, A.O.C./ DIED OF WOUNDS RECEIVED IN ACTION/ 21ST JUNE 1918 AGED 23 YEARS/ ALSO THE ABOVE MARY ROBB,/ DIED 6TH FEBY 1921, AGED 63 YEARS/ ALSO THE ABOVE JOHN ROBB/ DIED 15TH DECR 1923 AGED 72 YEARS.
- Low arch, pink granite. ERECTED BY/ JEAN MAIN,/ IN LOVING MEORY OF HER HUSBAND/ THOMAS STORRAR. DIED 4TH AUGT 1924, IN HIS 77TH YEAR./ THE ABOVE/ JEAN MAIN,/ DIED 11TH OCTR 1941, AGED 91 YEARS./ ALSO GRAND-DAUGHTER. JEAN STORRAR,/ DIED 27TH JUNE 1985, AGED 82 YEARS.
- Triangular. (1) SACRED TO THE MEMORY/ OF [on pediment] (2) JANET RAMSEY,/ WHO DIED 7TH JULY 1883,/ AGED 68 YEARS./ AND OF HER HUSBAND/ CHRISTOPHER STORRAR,/ WHO DIED 3RD DEC. 1884, AGED 77 YEARS./ ALSO THEIR GRAND-DAUGHTER/ AGNES STORRAR,/ WHO DIED 31ST MARCH 1895, AGED 3 YEARS/ / / UNTIL THE DAY DAWN. (3) T. STORRAR [on base].
- Central arch. (1) ERECTED/ BY/ JOHN CAMERON,/ IN LOVING REMBRANCE/ OF HIS DAUGHTER/ JANE CAMERON,/ WHO DIED 1ST MARCH 1885,/ AGED 4 YEARS AND 4 MONTHS./ THE ABOVE/ JOHN CAMERON/ WHO DIED AT MOTHERWELL/ 27TH MARCH 1920 AGED 75 YEARS/ HIS WIDOW/ JANET JOHNSTON/ WHO DIED 8TH DECR 1930/ AGED 79 YEARS. (2) GRAY & BAXTER/ KIRKINTILLOCH [in plinth].
- Central arch & cavetto, pink granite. (1) IN MEMORY OF/ ROBERT WILSON/ DIED 24TH DECR 1917 AGED 76/ HIS WIFE/ AGNES SHARP/ DIED 24TH AUGT 1884 AGED 25/ ALSO THEIR SON/ WILLIAM WILSON/ DIED 15TH OCT. 1958/ AGED 75 YEARS/ MARY KILGANNON/ WIFE OF THE ABOVE. WILLIAM WILSON/ DIED 30TH DEC. 1980/ AGED 88 YEARS. (2) ERECTED BY THEIR FAMILY [on plinth].
- Pink granite, fallen face down.
- Tri-lobed. ERECTED BY/ THOMAS WILSON/ IN MEMORY OF HIS BELOVED WIFE/ JANE GIBB/ WHO DIED OCT 22 1885/ AGED 25 YEARS/ ALSO HIS DAUGHTER/ AGNES/ WHO DIED OCT 7TH 1885/ AGED 20 MONTHS.
- Triangular. Erected by/ THOMAS SMITH,/ IN MEMORY OF HIS BELOVED WIFE,/ MARGARET SALMOND,/ WHO DIED 13TH SEPT 1884./ IN — — YEAR OF HER AGE./ THE ABOVE/ THOMAS SMITH,/ BORN 13TH FEB 1842,/ DIED AT GOLFHI
Index of Names
| Abercromby, David | 233 |
| Adam, Christina | 217 |
| Adam, Janet | 217 |
| Adam, William | 223 |
| Aitken, James | 203 |
| Aitken, Robert | 73 |
| Aitken, Thomas | D47 |
| Aitken, Wilhilmina S | 28 |
| Aitkenhead, Agnes | 95 |
| Aitkenhead, James | 104 |
| Aitkenhead, John | 104 |
| Alexander, Agnes | 198 |
| Allan, Agnes | 144 |
| Allan, Janet | 139 |
| Allan, Mary | 67 |
| Anderson, Elizabeth Shanks | 166 |
| Anderson, Janet | 75 |
| Anderson, John | 124 |
| Anderson, William | 225 |
| Arthur, Catherine | 118 |
| Arthur, Elizabeth | D38 |
| Arthur, Henry | 134 |
| Arthur, Isabella | 134 |
| Arthur, Isabella Frances Marian | 134 |
| Arthur, James | 134, 191 |
| Arthur, Janet | 70 |
| Arthur, Jean | 201, 239 |
| Arthur, John | 134 |
| Arthur, John James | 107 |
| Arthur, Margaret | 73, 199 |
| Arthur, Mary | 206 |
| Arthur, Mary Ann | 107 |
| Arthur, Robert | 118, 119, 144 |
| Arthur, William | 107, 134, D38 |
| Auld, James | D9 |
| Auld, Jeanie Smith | D9 |
| Auld, John | D9 |
| Auld, Mary | D9 |
| Auld, William | 150 |
| Baillie, Christian | 20 |
| Baillie, Jane | 224 |
| Baird, Ann | D68 |
| Baird, Elizabeth | 41 |
| Baird, Marion | D46 |
| Ballantyne, Grace | 39 |
| Ballantyne, James | 39 |
| Ballantyne, William | 39 |
| Barr, Agnes | 12 |
| Barrie, John L | 181 |
| Barrie, Lillias L | 181 |
| Barrie, Thomas | 182 |
| Barrie, William | 181 |
| Barry, John | 23 |
| Barry, Robert | 21 |
| Bartley, Joseph | 171 |
| Bartley, William | 171 |
| Baxter, John Reid | 238 |
| Baxter, Robert | 52 |
| Beaton, Margaret | 22 |
| Beck, Samuel | 153 |
| Bell, Jean | 63 |
| Bell, Peter | 24 |
| Beveridge, Agnes | 15 |
| Beveridge, Alexander | 15 |
| Beveridge, Jane R | 15 |
| Beveridge, Janet | 15 |
| Beveridge, William | D49 |
| Bigham, Hannah Clark | D35 |
| Binnie, Andrew | D1 |
| Binnie, Robert | D1 |
| Bizzett, Agnes | 205 |
| Bizzett, Jean | 205 |
| Bizzett, John | 205 |
| Black, Bethia | 11 |
| Black, Elisabeth | 187 |
| Black, James | 24 |
| Black, Mary | 42 |
| Boyd, George | 188 |
| Boyd, Jane | 129 |
| Boyd, John | 31, 139, 149, 221 |
| Boyd, Marion | 139 |
| Boyd, Robert | 41 |
| Bradie, Alexander | D52 |
| Bradie, James | D52 |
| Bradie, William | D52 |
| Broom, Mary | 157 |
| Broughton, Matilda | D24 |
| Brown, James | 98, 106 |
| Brown, Janet | D49 |
| Brown, John | 98 |
| Brown, Robert | 97 |
| Brown, Thomas | 106 |
| Bryers, Ann | 3 |
| Bryers, Catherine | 3 |
| Bryers, John | 3 |
| Bryers, William | 3 |
| Bryson, Alexander | 202 |
| Bryson, Isobel | 202 |
| Buchanan, Andrew | 193 |
| Buchanan, John | 193 |
| Buchanan, Mary | 193 |
| Burns, Euphemia | D57 |
| Burt, Alexander | D67 |
| Burt, Farquhar Wilson | D17 |
| Cairns, Mary | D67 |
| Cameron, Alexander | 172 |
| Campbell, Ann | D73 |
| Campbell, Bethia | D41 |
| Cameron, Jane | D78 |
| Cameron, John | D78 |
| Carlyle, James | 207 |
| Carrick, Jean | 25 |
| Chalmer, John | 202 |
| Christie, Robert Main | 43 |
| Clark, Janet | 156 |
| Clark, William | 237 |
| Cochrane, Mary | 193 |
| Cochrane, William | 193 |
| Cowan, Isabella | D47 |
| Cowan, Solomon | D5 |
| Cowie, Robert | 32 |
| Craig, Janet | 238 |
| Craig, Martha | D12 |
| Crossan, Isabella | 142 |
| Crossan, James | 142 |
| Crossan, Maggie | 142 |
| Crossan, Thomas | 142 |
| Crossan, William | 142 |
| Cruickshank, Margaret | 13 |
| Cupples, Alexander | D21, D73 |
| Cupples, Robert | D21, D73 |
| Cupples, Thomas | D21 |
| Cur, Catherine | 174 |
| Cuthal, Janet | 110 |
| Cuthil, William | 187 |
| Cuthbert, Agnes | 9 |
| Cuthell, Catherine | 169 |
| Danskine, Janet | 97 |
| Davidson, Alexander | 111 |
| Davidson, David | D70 |
| Davidson, William | D70 |
| Davie, Janet | 207 |
| Dick, Agnes | D22 |
| Dickson, Janet | D65 |
| Dickson, William | 125 |
| Dobbie, James | 215 |
| Dobbie, Mary | D64 |
| Docherty, Esther | 214 |
| Donaldson, Margaret | 52 |
| Donaldson, Mary | 155 |
| Downs, Alexander | 230 |
| Downs, James | 234 |
| Downs, Jane | 229 |
| Downs, Janet | 235 |
| Downs, John | 237 |
| Downs, Joseph | 237 |
| Downs, Robert | 231 |
| Dryer, John | 3 |
| Drysdale, John | 238 |
| Drysdale, Margaret | 238 |
| Duncan, Peter | 207 |
| Dunlop, John | 198 |
| Dunlop, Mathew | 198 |
| Dykes, Jane Patrick | 103 |
| Eaddie, James | 178 |
| Easton, James | D16 |
| Easton, John | D16 |
| Exford, Agnes | 58 |
| Ferguson, Andrew | 176 |
| Ferguson, Janet Rankine | 208 |
| Ferguson, John | D11 |
| Ferguson, Margaret | 171 |
| Ferguson, Marion | 139 |
| Ferguson, Marion Bertram | 176 |
| Fleming, Hugh Dick | D22 |
| Fleming, James | D22 |
| Fleming, Mary | D22 |
| Fleming, William | D22 |
| Forrester, Catherine | D21 |
| Forrester, Elizabeth | 62 |
| Forrester, George | 62 |
| Forrester, John | 62 |
| Forrester, Robert | 62 |
| Forrester, Thomas | 80 |
| Forsyth, George | D19 |
| Fowler, John | D17 |
| Fowler, Thomas | D17 |
| Fraser, Jean Taylor | 127 |
| Fraser, Jennie Gray | 127 |
| Fraser, Jessie | 96 |
| Fraser, Robert Charles | 127 |
| Gaff, Ann | D68 |
| Gardiner, Mary | 78 |
| Gardner | 195 |
| Gardener, Alison | D26 |
| Gardner, Ann | D68 |
| Gardner, David | 33 |
| Gardner, James | D26 |
| Gardner, Jane | D36 |
| Gardner, John | 226, D68 |
| Gardner, Robert | D26 |
| Gardner, William | 48 |
| Gentleman, Elizabeth | 36 |
| Gentleman, John | 36 |
| Gentleman, Peter | 36, 170 |
| Gentleman, William | 36 |
| Gibb, Ellen | D2 |
| Gibb, Jane | D81 |
| Gibb, Richard | D2 |
| Gilchrist, Alexander | D56 |
| Gilchrist, James | D36 |
| Gilchrist, James | D36 |
| Gilchrist, Lilias | 237 |
| Gilchrist, Margaret | D38, D56 |
| Gilchrist, William | D56 |
| Gillies, James | 194 |
| Gillies, Janet | 194 |
| Graham, Annie | D6 |
| Graham, Barbara | 245 |
| Graham, Christian | 219 |
| Graham, David | D6 |
| Graham, George | D6 |
| Graham, Jane | 191 |
| Graham, Janet | 88 |
| Graham, John | 78, D6 |
| Gray, Agnes | 95 |
| Gray, Elisabeth | 10 |
| Gray, Isabella | 104 |
| Gray, James | 10, 95 |
| Gray, James Charles | 213 |
| Gray, Janet | 126 |
| Gray, John? | 64 |
| Gray, Mary A | 10 |
| Gray, Mary B | D62 |
| Gray, Robert | 206 |
| Gray, Susanna Wood | 213 |
| Gray, William | 129, 213 |
| Grossett, Jean | 231 |
| Hailstones, Alexander | 142 |
| Hailstones, Alison | D26, D27 |
| Hailstones, Catherine | 96 |
| Hailstones, Christina | 96, 227, D27 |
| Hailstones, James | 142 |
| Hailstones, Jean | 142 |
| Hailstones, Robert | 96, D27 |
| Hailstones, William | 96, D27 |
| Hamilton, Ann | D32 |
| Hamilton, Archibald | D69 |
| Hamilton. Elizabeth | D32 |
| Hamilton, Helen | 6, D69 |
| Hamilton, Jane | D69 |
| Hamilton, Janet | D32 |
| Hamilton, John | D69 |
| Hamilton, Robert | D32 |
| Hamilton, Sarah | D5 |
| Hamilton, Thomas | D69 |
| Hamilton, William | D69 |
| Harvie, Alexander | D72 |
| Harvie, Mary | 112 |
| Hastie, Janet | 180 |
| Hastie, John | 180 |
| Hastie, William | 180 |
| Hay, Ann | 122 |
| Hay, James | 100, 120 |
| Hay, John | 120 |
| Hay, Margaret | 40 |
| Hay, William | 72 |
| Henderson, Elizabeth | 194 |
| Henderson, Helen | 178 |
| Henderson, James Baird | 4 |
| Henry, Solomon | 214 |
| Hill, Elisabeth | 137 |
| Hill, George | 123 |
| Hill, Isa | 4 |
| Hill, Thomas | 137 |
| Hodge, George | 220 |
| Hodge, Jane | D39 |
| Hodge, John | 219 |
| Hodge, William | 141 |
| Hogg, Agnes W | 197 |
| Hogg, Isabella Howe | D3 |
| Horne, Robert Stevenson | 165 |
| Hosie, Agnes | 193 |
| Hume, James | 192 |
| Hunter, Elizabeth | D1 |
| Hutcheson, Janet | 143 |
| Hyne, Catherine | 208 |
| Inglis, Catherine | 158 |
| Inglis, John | 91 |
| Inglis, Robert | 174 |
| Inverarity, George | 155 |
| Irvine, James | D34 |
| Irvine, John | D34 |
| Irvine, Mary | D34 |
| Irvine, William | D34 |
| Ivory, James | D18 |
| Jack, Elizabeth | D40 |
| Jack, George | D40 |
| Jack, Janet | D40 |
| Jack, Robert | D40 |
| Jack, William | D40 |
| Jaffrey, Merron | 42 |
| Jamieson, Andrew | D65 |
| Jamieson, Ann | D7 |
| Jamieson, Catherine | 35 |
| Jardine, Andrew | 245 |
| Jardine, Isabella | 142 |
| Jarvie, James | 229 |
| Jarvie, John | 229 |
| Jarvie, Margaret | 229 |
| Jeffray, Christian | 233 |
| Jeffrey, Elizabeth | 12 |
| Jeffrey, William | 12 |
| Jenkins, Mary | D63 |
| Johnston, Annie | 173 |
| Johnston, Christina Storry | 173 |
| Johnston, Henry Taylor | 173 |
| Johnston, James | 173 |
| Johnston, Jane | 193 |
| Johnston, Janet | D78 |
| Johnston, John | D59 |
| Johnston, Margaret | D59 |
| Johnston, Mary | 212 |
| Johnston, Peter Allan | D78 |
| Johnston, William | 173 |
| Kelso, John | D8 |
| Kerr, Margaret | 145 |
| Kidd, John McG | 132 |
| Kidd, William | 132 |
| Kilgannon, Mary | D79 |
| Kirkwood, Jane | 142 |
| Kirkwood, Robert | 90 |
| Knox, John | 164 |
| Laing, Alexander Scott | D29 |
| Laing, David | D29 |
| Laing, Isabella | D33 |
| Laing, James | D29 |
| Laing, Margaret B. | D42 |
| Laing, Mary | 227 |
| Liddell, Ann | 203 |
| Liddell, Christian | 192 |
| Liddell, John | 210 |
| Liddell, Mary | 46 |
| Liddell, Robert | 196 |
| Little, Henry | D24 |
| Little, Sarah | D24 |
| Little, Thomas | D24 |
| Loch, Catherine | 181 |
| Lochead, Mary | 165 |
| Lockart, Janet | 234 |
| Logie, Agnes | 54 |
| Logie, Jean | 222 |
| Lorimer, S W | 43 |
| Love, George | D62 |
| Love, James | 145 |
| Love, Robert | D62 |
| Love, William | 145 |
| Lyons, Mary | D34 |
| McCallum, Marion | D26 |
| McCreary, John | D35 |
| McCreary, Thomas | D35 |
| McCulloch, John | 151 |
| McDonald, Agnes | D47 |
| McDonald, Robert | D47 |
| McEwan, Robert | 8 |
| McFarlane, Jane | 232 |
| McIntyre, John | 37 |
| McIntyre, Margaret | 37 |
| McKay, Rachel R | 223 |
| McKechnie, Jane | 62 |
| McKellar, Donald | 136 |
| McKillop, Agnes | D58 |
| McLaren, Mary | 243 |
| McLean, Charles | 126 |
| McLuckie, Alexander | D42 |
| McNa | 8 |
| MacNair, Agnes | 19 |
| MacNair, James | 19 |
| Main, Ann Speirs | 158 |
| Main, Elizabeth | 43 |
| Main, Henry | 175 |
| Main, James | 158, 175 |
| Main, Janet | 63, 158 |
| Main, Jean | D76 |
| Main, John | 63, 158 |
| Main, Mary | 147 |
| Main, Mary Ann | 43 |
| Main, Robert | 43 |
| Main, Susan | 43 |
| Main, Thomas | 66, 79 |
| Main, William | 175 |
| Marshall, Alexander | 88 |
| Marshall, Ann | 239 |
| Marshall, Christina | 36 |
| Marshall, Elizabeth | 30 |
| Marshall, Isabella | 151 |
| Marshall, John | 239 |
| Marshall, Margaret | 221, D18 |
| Marshall, Marion | 239 |
| Marshall, Robert | 239 |
| Marshell, William | 222 |
| Martin, Alexander | 6, 135 |
| Martin, Janet | 218 |
| Martin, Jessie | 218 |
| Martin, John | 156 |
| Martin, Mary Galloway | 218 |
| Martin, Robert | 218 |
| Martin, William | 6 |
| Masterton, Ann | 44 |
| Masterton, John | 44 |
| Meek,Agnes | D32 |
| Meikle, Janet | 39 |
| Melvin, Mary | D6 |
| Menzies, John | 12 |
| Millar, Isabella | D33 |
| Millar, John | D33 |
| Moir, Janet | 35 |
| Moir, John | 35 |
| Moir, Robert | 35 |
| More, Agnes | D39 |
| More, Elizabeth | D39 |
| More, James | D39 |
| More, Jane | D39 |
| More, Janet | D39 |
| More, Robert | D39 |
| More, William | D39 |
| Morton, Isabella | 161 |
| Mungal, Robert | 110, 117 |
| Mungall, Elizabeth | 59, 211, D56 |
| Mungall, George | 131 |
| Mungall, James | 13 |
| Mungall, Mary | 211 |
| Mungall, Robert | 211 |
| Munro, Margaret | 228 |
| Murphy, James A. | D32 |
| Murray, Archibald | D58 |
| Murray, John | D58 |
| Nash, Elizabeth | D66 |
| Nash, Helen Strang | D74 |
| Nash, James G. | D66 |
| Nash, Jessie | D66 |
| Nelson, Christian | 149 |
| Nelson, Marion | D11 |
| Nisbet, George | D37 |
| Nisbet, Hugh | D37 |
| Nisbet, Jeanie | D37 |
| Nisbet, Marion | D37 |
| Oswald, Andrew | 235 |
| Oswald, Janet | 188 |
| Oswald, Mary | 33 |
| Oswald, Thomas | 5 |
| Page, Jeanie | 169 |
| Paterson, Alexander | D38 |
| Paterson, Janet | 136 |
| Paterson, Jessie | D38 |
| Paton, Catherine | 3 |
| Paton, James | 168, D64 |
| Paton, Jane | 80 |
| Paton, Janet | D64 |
| Paton, Martha | D64 |
| Paton, Mary | 230 |
| Paton, Thomas | 167 |
| Paton, William | D64 |
| Peat, Mary | 161 |
| Peat, Thomas | 161 |
| Penman, Betsy | 5 |
| Petigrew, Alexander | 57 |
| Pow, William | D46 |
| Quin, Elizabeth | D28 |
| Quin, John | D28 |
| Quin, William | D28 |
| Rae, Edward | 32 |
| Rae, Helen | D29 |
| Ralston, Robert | 146 |
| Ramsey, Janet | D77 |
| Rankein, Anna | 98 |
| Rankine, Agnes | 95 |
| Rankine, James | 177 |
| Rankine, Janet | 208 |
| Rankine, Mary | D52 |
| Reid, Ann Mary Jane | 238 |
| Reid, David | 29 |
| Reid, George | 157 |
| Reid, Hugh | 130 |
| Reid, James | 130, 157 |
| Reid, John | 130, 238 |
| Reid, Marion Thom | 238 |
| Reid, Mary | 177 |
| Reid, Peter | 157 |
| Reid, Thomas | 130 |
| Reid, William | 29, 157 |
| Rintoul, Mary | 5 |
| Robb, Alexander | D75 |
| Robb, John | D75 |
| Robb, Joseph | D75 |
| Robb, Mary | D75 |
| Robert, Henry | 114 |
| Robert, John | 114 |
| Robert, William | 114 |
| Robertson, Agnes | D11, D17 |
| Robertson, Elizabeth | 115 |
| Robertson, James | 199, 212 |
| Robertson, John | 209, 212, 213 |
| Robertson, Margaret Hastie | 212 |
| Robertson, Mary | 212 |
| Robertson, Thomas | 212 |
| Ronaldson, Margaret | 226 |
| Ross, John | D30 |
| Roy, Agnes | D57 |
| Roy, Elizabeth | D57 |
| Roy, Henry | D57 |
| Roy, Jeannie | D57 |
| Roy, Nan | D57 |
| Roy, William | D57 |
| Rushford, James | D53 |
| Rushford, John | D53 |
| Rushford, Margaret | D53 |
| Rushford, Robert | D53 |
| Russel, Alexander | 190 |
| Russel, Jane | 125 |
| Russel, John | 70 |
| Russell, Ann | 49 |
| Russell, Janet | 84. 85 |
| Russell, Jean | 137 |
| Russell, John | 84, 85, 204, 240 |
| Russell, Lillias | 150 |
| Russell, Margaret | 217 |
| Russell, Mary | 84, 106 |
| Russell, Thomas | 84 |
| Russell, William | 84 |
| Salmond, Elesbeth | 98 |
| Salmond, Jeanie | 142 |
| Salmond, Margaret | 29, D82 |
| Salmond, Peter | 197 |
| Salmond, William | 197 |
| Sawers, Robert | 40 |
| Scott | 32 |
| Scott, Agnes | 21 |
| Scott, Alexander | D41 |
| Scott, Amelia | 215 |
| Scott, Ann | 220 |
| Scott, Bethea | 68 |
| Scott, Berthea | 22 |
| Scott, Edith Ronald | 68 |
| Scott, Elizabeth | 68 |
| Scott, Ellen | 152 |
| Scott, George | 68 |
| Scott, Hannah | D29 |
| Scott, James | 22, 152 |
| Scott, Janet | 22, 84 |
| Scott, Margaret | 22 |
| Scott, Michael | 152, D41 |
| Scott, Robert | 22 |
| Scott, Sarah | D30 |
| Scott, Thomas | 68 |
| Scott, William | 68 |
| Shanks, Andrew | 184 |
| Shanks, Christina | 217 |
| Shanks, David | 243 |
| Shanks, Elisabeth | 162 |
| Shanks, Elizabeth | 184 |
| Shanks, James | 122 |
| Shanks, Jane | 224 |
| Shanks, Janet | 196, 217, D3 |
| Shanks, Jean | 119 |
| Shanks, John | 30, 184, 217, D3 |
| Shanks, Margaret | 121, D59 |
| Shanks, Mary | 23, 184 |
| Shanks, Thomas | 184, 224, 243 |
| Shanks, William | D3 |
| Sharp, Agnes | D79 |
| Sharp, Cecilia | 26 |
| Shaw, David | D63 |
| Shaw, John | 162, 163 |
| Shaw, Martin | D63 |
| Shaw, Mary | D63 |
| Shields, Mary | 72 |
| Shiels, William | 242 |
| Sim, Alexander | 9 |
| Sim, Janet | 9 |
| Sim, Marion | 9 |
| Sim, William | 9 |
| Simpson, A. H. | D60 |
| Simpson, John | D60 |
| Simpson, Margaret | D2 |
| Simpson, Robert | 42 |
| Small, Mary | 190 |
| Smellie, Mary | D16 |
| Smith, Mathew | 127 |
| Smith, Thomas | D82 |
| Sneddon, Agnes | D70 |
| Somerville, Margaret | 47 |
| Somerville, Thomas | D12 |
| Stalk, Margaret | 118 |
| Stark, Catherine | 130 |
| Stark, Mary | 102 |
| Stark, Thomas | 239 |
| Steel, Catherine | 31 |
| Steel, David | 14 |
| Steel, Janet | 13 |
| Steel, Mary Morris | 14 |
| Steel, William | 13 |
| Steele, Gavin | 11 |
| Steele, Robert | 11 |
| Stele, William | 11 |
| Steuart, Walter | 137 |
| Stevenson, Margaret | 182 |
| Stewart, Mary | D37 |
| Stirling, Henrietta Catherine | 169 |
| Stirling, James | 169 |
| Stirling, Jane | 169 |
| Stirling, John | 169 |
| Stirling, Robert | 169 |
| Storrar, Agnes | D77 |
| Storrar, Christopher | D77 |
| Storrar, Jean | D76 |
| Storrar, Kate | 61 |
| Storrar, Thomas | D76 |
| Storrie, Isabella | 112 |
| Storrie, Jane | 112 |
| Storrie, Janet | 84 |
| Storrie, Marion | 112 |
| Storrie, William | 112 |
| Storry, Annie Shanks | 173 |
| Taylor, A | 57 |
| Taylor, Agnes | 173, D55 |
| Taylor, Agnes Black | 17 |
| Taylor, Christian | 20, 43 |
| Taylor, Daniel | 26 |
| Taylor, Elizabeth | 35, D55 |
| Taylor, Henry | 28, 126, D55 |
| Taylor, James | 126, D55 |
| Taylor, Janet | 175 |
| Taylor, Jeanie Shanks | 27 |
| Taylor, John | 126 |
| Taylor, Marion | D55 |
| Taylor, Mary | 126 |
| Taylor, Peter | 26 |
| Taylor, Robert | 115, 126, 127 |
| Taylor, Thomas | D55 |
| Taylor, William | 20, 26, 27, 74, D55 |
| Tennant, James | 46 |
| Tennant, John | 47 |
| Thom, Janet | 13 |
| Thompson, Christine | 225 |
| Thompson, Daniel | 244 |
| Thompson, Hugh | 244 |
| Thomson, Margaret | 120 |
| Thomson, Mary | 48 |
| Thomson, Thomas | 49 |
| Tillies, Janet | 50 |
| Tom, Robert | 54 |
| Tripney, Mary | 135 |
| Turner, Ann | 207 |
| Turner, David | 207 |
| Turner, James | 75 |
| Turner, Margaret | 207 |
| Urquhart, Margaret | 172 |
| Waddell, Agnes | D38 |
| Waddell, Alexander | D38 |
| Waddell, Archibald | D38 |
| Waddell, Caston Margaret Anne Ralston | 1 |
| Waddell, Catherine Black | 84 |
| Waddell, Elizabeth | 205, D38 |
| Waddell, Elizabeth Caston Ralston | 1 |
| Waddell, George | 1 |
| Waddell, George Ralston Peddie | 2 |
| Wadell, James | 232 |
| Waddell, Jane | 198 |
| Waddell, Janet | 153 |
| Waddell, Jean | 167 |
| Waddell, John | 232, D38 |
| Waddell, Margaret | 22 |
| Waddell, Mary | 210 |
| Waddell, Mathew | 67, 153 |
| Walker, Elizabeth | 211 |
| Walker, Jean | 123 |
| Walker, John | 124 |
| Walker, Mary | D61 |
| Watson, Adelaide | D74 |
| Watson, Alexander | D50 |
| Watson, Alexander Young | D48 |
| Watson, Alfred | D74 |
| Watson, Elizabeth | D74 |
| Watson, Graham | D48 |
| Watson, James M | D74 |
| Watson, John | D48, D50 |
| Watson, Sarah | D74 |
| Watt, Alexander | D61 |
| Watt, James | D7 |
| Watt, Jeanie | 27 |
| Watt, John | D7 |
| Watt, Robert | D61 |
| Watt, William | 118 |
| Watters, David D | 136 |
| Waugh, Agnes | 17, 18 |
| Waugh, Elizabeth | 244 |
| Waugh, George | 102, 103 |
| Waugh, James | 17 |
| Waugh, Jane Taylor | 59 |
| Waugh, John | 17, 18, 59, 61, 201 |
| Waugh, Mary | 194, 242 |
| Waugh, Thomas | 166 |
| Waugh, William | 59 |
| Webster, John | 227, 228 |
| Webster, Margaret Monro | 228 |
| Webster, Robert | 228 |
| Webster, William | 227 |
| Weir, Susanna | 148 |
| West, Alexander | 7 |
| West, Henry R B | 7 |
| West, William | 7 |
| Wilson, Agnes | D36, D81 |
| Wilson, Ailson | D27 |
| Wilson, Archibald | 50 |
| Wilson, Elizabeth | D28 |
| Wilson, Helen | 6 |
| Wilson, Isobel | 202 |
| Wilson, James | 50, 121 |
| Wilson, Margaret | 130, 152 |
| Wilson, Robert | D79 |
| Wilson, Thomas | D81 |
| Wilson. William | D79 |
| Winning, Mary | D29 |
| Wood, Susanna | 148, 213 |
| Wood, William | 147 |
| Wright, Elizabeth | D57 |
| Wright, Mary | 7 |
| Yeardly, Margaret | F55 |
| Young, Graham | D50 |
| Young, Janet | D32 |
| Young, William | 25 |
Bibliography
| Cameron, A. | 1961 | ‘Parish of Slamannan’, in Third Statistical Account of Scotland. |
| Hunter, D. | 1991 | Regality Court Book of Falkirk & Callendar, Vol 1. |
| Love, J. | 1908 | Local Antiquarian Notes And Queries. |
| Macnair, J. | 1793 | The Statistical Account of Slamannan’ Calatria, 2, 97-104. |
| Mitchell, J.F. & Mitchell, S. | 1972 | Monumental Inscriptions (Pres-1855) in East Stirlingshire. |
| Murray, A. | 1911 | Fifty Years of Slamannan Co-operative Society |
| Waugh, J. | 1979 | Slamannan Parish through the Changing Years. |
| Willsher, B. & Hunter, D. | 1978 | Stones: A Guide to some Remarkable Eighteenth Century Gravestones. |
